1
物件掲載企業数:
299
社
|賃貸物件:
2,873
件|売買物件:
3,234
件|今週の登録物件:
397
件
閲覧中のブラウザ(インターネットエクスプローラー)は非推奨ブラウザです。
物件が正しく表示されなかったり、正しく検索されない場合があります。最新のブラウザ(Google Chrome・Edgeなど)にてご利用お願いいたします。
Google Chrome
Microsoft Edge
アパート・マンション・一戸建て
駐車場
貸土地
店舗
事務所
倉庫・工場
新築分譲マンション
中古マンション
新築一戸建て
中古一戸建て
売土地・分譲地
その他(投資物件など)
マンション
一戸建て
土地
ホーム
>
検索方法選択
>
エリア選択
> 物件一覧
全エリア
の
売土地・分譲地
一覧
2021件
該当しました。
<前のページ
63
64
65
66
67
68
69
70
71
72
73
次のページ>
表示切替:
一覧表示
/
地図表示
並び替え:
指定なし
新着順
価格が安い順
価格が高い順
画像
物件名/所在地/取扱店
詳細
土地
上越市柿崎区三ツ屋浜65-1
有限会社佐藤材木店
価格
:
7,100,000
円
土地面積
:938.43㎡ /283.87坪
坪単価
:25,011円/坪
建ぺい率
:70%
容積率
:200%
駅前公園近く
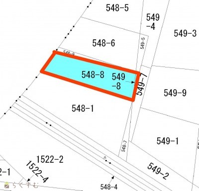
豊町売土地
新潟県柏崎市豊町字笠原548-8 549-8
株式会社 ai-will
価格
:
7,110,000
円
土地面積
:213.41㎡ /64.55坪
坪単価
:110,147円/坪
建ぺい率
:60%
容積率
:200%
東向きの整形地 前面道路消雪設備完備 西中学校まで徒歩約1分
長岡市希望が丘一丁目売土地 A
新潟県長岡市希望が丘1丁目504-11
株式会社 長岡総合開発
価格
:
7,150,000
円
土地面積
:124.42㎡ /37.63坪
坪単価
:190,007円/坪
建ぺい率
:50%
容積率
:80%
南向きの整形地
長岡市上除町売土地【区画②】
新潟県長岡市上除町甲239番2
株式会社 長岡総合開発
価格
:
7,150,000
円
土地面積
:205.4㎡ /62.13坪
坪単価
:115,081円/坪
建ぺい率
:70%
容積率
:200%
枇杷島小学校至近の全2区画の分譲地です。自社物件につき仲介手数料がかかりません!
柏崎市関町 55坪
新潟県柏崎市関町2148番5号
植木不動産株式会社
価格
:
7,150,000
円
土地面積
:181.95㎡ /55.03坪
坪単価
:129,929円/坪
建ぺい率
:60%
容積率
:200%
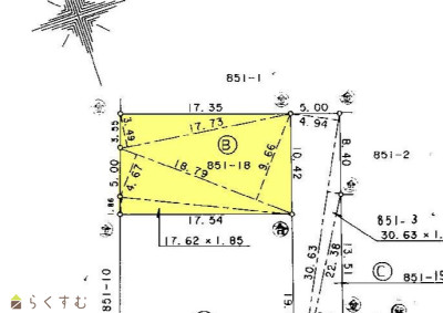
◆売地◆三条市林町一丁目
新潟県三条市林町1丁目851-18
株式会社 ユタカ不動産
価格
:
7,151,300
円
土地面積
:181.86㎡ /55.01坪
坪単価
:130,000円/坪
建ぺい率
:60%
容積率
:200%
台町1丁目 コンパクトな土地 駅まで徒歩8分♪
台町 売地
新潟県長岡市台町1丁目13-5
有限会社 遠藤機販
価格
:
7,158,000
円
土地面積
:118.33㎡ /35.79坪
坪単価
:200,000円/坪
建ぺい率
:80%
容積率
:300%
【価格改定しました】 静かで暮らしやすい中沢土地
中沢売土地
新潟県長岡市中沢1丁目1243-1、1243-3
株式会社 アークエイト
価格
:
7,160,000
円
土地面積
:271.03㎡ /81.98坪
坪単価
:87,338円/坪
建ぺい率
:60%
容積率
:200%
人気の春日新田です!閑静な住宅地ですが、大通りに出やすい立地♪
【人気エリア】春日新田一丁目 売地
新潟県上越市春日新田1-15-37
株式会社 お不動さん
価格
:
7,200,000
円
土地面積
:198.28㎡ /59.97坪
坪単価
:120,060円/坪
建ぺい率
:60%
容積率
:200%
暮らしやすさが詰まった街、誕生!
ハートフルステージ北新井
新潟県妙高市柳井田町4丁目7街区 2
家'Sハセガワ 株式会社
価格
:
7,200,000
円
土地面積
:256.5㎡ /77.59坪
坪単価
:92,795円/坪
建ぺい率
:80%
容積率
:200%
建築条件なし 前面道路幅員6m 日当り良好 小学校まで徒歩8分
柏崎市南半田売地
新潟県柏崎市南半田11-30
株式会社リビングギャラリー
価格
:
7,200,000
円
土地面積
:307.83㎡ /93.11坪
坪単価
:77,327円/坪
建ぺい率
:70%
容積率
:200%
小学校近隣、閑静な住宅地です♪価格ご相談ください♪
南半田売り土地
新潟県柏崎市南半田11番地30
株式会社オフィス・シナダ
価格
:
7,200,000
円
土地面積
:307.83㎡ /93.11坪
坪単価
:77,327円/坪
建ぺい率
:70%
容積率
:200%
長岡駅・原信シビックコアまで徒歩10分!小中学校も徒歩5分以内!前面歩道上の支線は移動済み。3階建て建物も可能なエリアです。
千手2売地【更地渡し・建築条件なし】
新潟県長岡市千手2丁目1-29
ミサワホーム北越 株式会社
価格
:
7,200,000
円
土地面積
:122.31㎡ /36.99坪
坪単価
:194,647円/坪
建ぺい率
:80%
容積率
:300%
柏崎インター、商業施設が近く利便性のよい地域
半田3丁目角地96坪
新潟県柏崎市半田3丁目1769-1
株式会社 ai-will
価格
:
7,250,000
円
土地面積
:318㎡ /96.19坪
坪単価
:75,371円/坪
建ぺい率
:70%
容積率
:200%
関原小学校まで徒歩約1分 ふれあいセンター前の整形地 【建物解体更地渡し】
長岡市関原町2丁目売土地
新潟県長岡市関原町2丁目99-1
株式会社 長岡総合開発
価格
:
7,260,000
円
土地面積
:266.69㎡ /80.67坪
坪単価
:89,996円/坪
建ぺい率
:60%
容積率
:200%
小千谷市で人気の桜町エリアに6区画の消雪パイプを完備した分譲地誕生!
グリーンガーデン小千谷桜町3期
新潟県小千谷市桜町1040番5 外1筆
株式会社 エヌ・アール・ケー総合企画
[価格]
7,299,000
~
8,546,000
円
[土地面積]
218.99 ~ 241.52㎡
66.24 ~ 73.05坪
[坪単価]
110,000 ~ 121,000円/坪
県道沿いの土地です。【建物解体更地渡し】 令和7年10月8日価格改定830万円→730万円
長岡市上除町売土地
新潟県長岡市上除町甲2010
株式会社 長岡総合開発
価格
:
7,300,000
円
土地面積
:664.62㎡ /201.04坪
坪単価
:36,311円/坪
建ぺい率
:60%
容積率
:200%
冬場も安心!南側道路に消雪設備があります
静かな住宅街にある南城の土地
上越市南城町一丁目
ピタットハウス上越店 日建不動産
価格
:
7,300,000
円
土地面積
:241.57㎡ /73.07坪
坪単価
:99,904円/坪
建ぺい率
:50%
容積率
:80%
資材置き場向き
片田町 売土地 113坪
新潟県長岡市片田町字西荒田650-1
株式会社 金井不動産
価格
:
7,300,000
円
土地面積
:375㎡ /113.43坪
坪単価
:64,356円/坪
建ぺい率
:70%
容積率
:200%
長岡駅まで徒歩圏内の好立地♪
上田町売土地
新潟県長岡市上田町2-35
有限会社 竹内不動産
価格
:
7,327,500
円
土地面積
:161.5㎡ /48.85坪
坪単価
:150,000円/坪
建ぺい率
:80%
容積率
:300%
表示切替:
一覧表示
/
地図表示
並び替え:
指定なし
新着順
価格が安い順
価格が高い順
価格は物件の代金総額を表示しており、消費税が課税される場合は税込み価格です。
建築条件付き土地価格には、建物価格は含まれません。
物件情報の詳細については取り扱い店までお問い合わせください。
完成予想図はいずれも外構・植栽・外観等実際のものと異なることが多少あります。
CG合成の画像の場合実際と異なることが多少あります。
完成後1年以上経過したものが未入居として記載される場合があります。ご了承ください。
販売予定物件は販売開始するまで契約または予約の申し込みはできません。
ご購入の場合物件詳細や契約内容についてご自身で十分ご確認いただきますようよろしく御願いします。
建築条件付きとは…その土地に建築する建物の建築請負契約が、一定期間内に成立することを条件として売買される土地のことをいいます。請負契約成立に向けて設計プランを協議するため、土地購入者が希望する建物にするために一定の期間(概ね3ヶ月)交渉期間としその期間内に希望するプランが実現できたかどうかによって土地の購入の判断をします。納得のいくプランができず請負契約が未成立になった場合、土地契約にかかった代金(手付金など)は、すべて返却されます。
2021件
該当しました。
<前のページ
63
64
65
66
67
68
69
70
71
72
73
次のページ>
0件
がマッチ
基本条件
物件種別
売土地・分譲地
詳細種別
売土地
分譲地
価格
下限なし
100万円
250万円
500万円
1000万円
1500万円
2000万円
2500万円
3000万円
3500万円
4000万円
4500万円
5000万円
5500万円
6000万円
6500万円
7000万円
7500万円
8000万円
8500万円
9000万円
9500万円
1億円
~
上限なし
100万円
250万円
500万円
1000万円
1500万円
2000万円
2500万円
3000万円
3500万円
4000万円
4500万円
5000万円
5500万円
6000万円
6500万円
7000万円
7500万円
8000万円
8500万円
9000万円
9500万円
1億円
間取り
ワンルーム
1K
1DK
1LDK
2K
2DK
2LDK
3K
3DK
3LDK
4K
4DK
4LDK以上
専有面積
下限なし
20㎡
30㎡
40㎡
50㎡
60㎡
70㎡
80㎡
90㎡
100㎡
~
上限なし
20㎡
30㎡
40㎡
50㎡
60㎡
70㎡
80㎡
90㎡
100㎡
土地面積
下限なし
60㎡ (約18坪)
70㎡ (約21坪)
80㎡ (約24坪)
90㎡ (約27坪)
100㎡ (約30坪)
110㎡ (約33坪)
120㎡ (約36坪)
130㎡ (約39坪)
140㎡ (約42坪)
150㎡ (約45坪)
160㎡ (約48坪)
170㎡ (約51坪)
180㎡ (約54坪)
190㎡ (約57坪)
200㎡ (約60坪)
250㎡ (約75坪)
300㎡ (約90坪)
~
上限なし
60㎡ (約18坪)
70㎡ (約21坪)
80㎡ (約24坪)
90㎡ (約27坪)
100㎡ (約30坪)
110㎡ (約33坪)
120㎡ (約36坪)
130㎡ (約39坪)
140㎡ (約42坪)
150㎡ (約45坪)
160㎡ (約48坪)
170㎡ (約51坪)
180㎡ (約54坪)
190㎡ (約57坪)
200㎡ (約60坪)
250㎡ (約75坪)
300㎡ (約90坪)
建物面積
下限なし
60㎡ (約18坪)
70㎡ (約21坪)
80㎡ (約24坪)
90㎡ (約27坪)
100㎡ (約30坪)
110㎡ (約33坪)
120㎡ (約36坪)
130㎡ (約39坪)
140㎡ (約42坪)
150㎡ (約45坪)
160㎡ (約48坪)
170㎡ (約51坪)
180㎡ (約54坪)
190㎡ (約57坪)
200㎡ (約60坪)
250㎡ (約75坪)
300㎡ (約90坪)
~
上限なし
60㎡ (約18坪)
70㎡ (約21坪)
80㎡ (約24坪)
90㎡ (約27坪)
100㎡ (約30坪)
110㎡ (約33坪)
120㎡ (約36坪)
130㎡ (約39坪)
140㎡ (約42坪)
150㎡ (約45坪)
160㎡ (約48坪)
170㎡ (約51坪)
180㎡ (約54坪)
190㎡ (約57坪)
200㎡ (約60坪)
250㎡ (約75坪)
300㎡ (約90坪)
坪単価
下限なし
5万円
10万円
15万円
20万円
25万円
30万円
35万円
40万円
45万円
50万円
~
上限なし
5万円
10万円
15万円
20万円
25万円
30万円
35万円
40万円
45万円
50万円
築年数
指定なし
新築
3年以内
5年以内
10年以内
15年以内
20年以内
方位
北
北東
東
南東
南
南西
西
北西
おすすめ条件
ペット可・相談
楽器可・相談
情報公開日
指定なし
本日
3日以内
1週間以内
1ヶ月以内
0件
がマッチ
人気のあるこだわり条件
高台に立地(104)
角地(380)
整形地(715)
前道6m以上(985)
南側道路面す(383)
更地(1182)
学校近く(549)
スーパー近く(408)
最寄り駅近く(227)
閑静な住宅街(924)
分割可能(52)
建築条件なし(1493)
所有権(1594)
即引き渡し可(659)
側溝(683)
都市ガス(前面道路)(805)
LPG(154)
上水道(前面道路)(898)
下水道(前面道路)(823)
浄化槽(76)
電気(911)
都市ガス(宅地内)(817)
上水道(宅地内)(1049)
下水道(宅地内)(964)
前面道路融雪設備あり(404)
その他水道(2)
住宅向け(1406)
事業用向け(313)
別荘地(117)
田舎暮らし(220)
条件に合った物件数は、
0 件
です。
立地・環境
高台に立地(104)
角地(380)
整形地(715)
前道6m以上(985)
南側道路面す(383)
更地(1182)
学校近く(549)
スーパー近く(408)
最寄り駅近く(227)
閑静な住宅街(924)
用途・制限
分割可能(52)
建築条件なし(1493)
引渡・条件
所有権(1594)
即引き渡し可(659)
設備
側溝(683)
都市ガス(前面道路)(805)
LPG(154)
上水道(前面道路)(898)
下水道(前面道路)(823)
浄化槽(76)
電気(911)
都市ガス(宅地内)(817)
上水道(宅地内)(1049)
下水道(宅地内)(964)
前面道路融雪設備あり(404)
その他水道(2)
その他
住宅向け(1406)
事業用向け(313)
別荘地(117)
田舎暮らし(220)
条件に合った物件数は、
0 件
です。
アパート・マンション・一戸建て
/
駐車場
/
貸土地
/
店舗
/
事務所
/
倉庫・工場
新築分譲マンション
/
中古マンション
/
新築一戸建て
/
中古一戸建て
/
売土地
/
投資物件・その他
マンション
/
一戸建て
/
土地
建てる・リフォーム
物件掲載企業一覧
掲載希望の企業様へ
新潟の不動産情報サイト
サービス利用規約
運営会社
サイトマップ
プライバシーポリシー
お問い合わせ
リンク
Copyright (C)
株式会社 コモンライフ・コーポレーション
. All Rights Reserved.
新潟・長岡・柏崎の賃貸・マンション・アパート・住宅の不動産物件情報サイト
不動産検索サイト「らくすむ」及び関連サイトに記載の不動産情報は、会員規約に則り、情報提供会社様の責任のもとに発信されております。
不動産の賃借、購入に関しては賃借者、購入者ご自身が情報を確認され、会社企業様から説明を受けられたうえで判断をお願いいたします。
不動産検索サイト「らくすむ」及び関連サイトに記載の不動産情報、写真、デザイン、コンテンツなどの
無断転載・転用・複製
など禁止します。