物件掲載企業数:301|賃貸物件:3,191件|売買物件:3,237件|今週の登録物件:240
閲覧中のブラウザ(インターネットエクスプローラー)は非推奨ブラウザです。
物件が正しく表示されなかったり、正しく検索されない場合があります。最新のブラウザ(Google Chrome・Edgeなど)にてご利用お願いいたします。
  

新潟県長岡市十日町字西野々1450番ほか 売土地・分譲地 6,200,000円の物件情報

【3区画分譲地】国道17号線へのアクセス良好♪のどかな田園風景にゆったりとした敷地

物件名/所在地 詳細 価格
【区画①分譲地】長岡市十日町3区画分譲地
新潟県長岡市十日町字西野々1450番ほか
  • 土地面積
    :1,080.59㎡ /326.87坪
  • 坪単価
    :18,967円/坪
  • 建ぺい率
    :70%
  • 容積率
    :200%
6,200,000
  • 【区画①分譲地】長岡市十日町3区画分譲地
    有限会社 ABCホーム
  • この物件を問い合わせる/無料
  • TEL: 0258-35-6682

物件画像

外観 間取り
物件画像
※画像クリックで拡大表示
外観
物件画像
※画像クリックで拡大表示
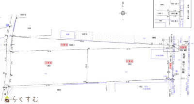
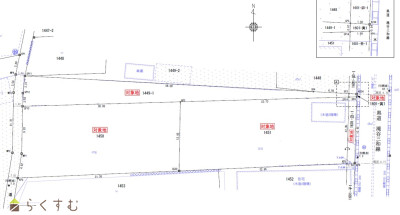
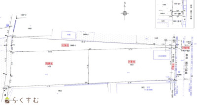
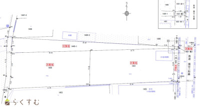
敷地図
詳細画像


物件概要

敷地内、車庫は希望があれば売主にて解体します
物件コード 00017-200363
物件名 【区画①分譲地】長岡市十日町3区画分譲地
交通 駅:上越線 越後滝谷駅から徒歩24分、バス:小山口から徒歩2分
物件所在地 新潟県長岡市十日町字西野々1450番ほか
物件種別 売土地・分譲地
物件区分 売土地
構造 - 階建 -
建ぺい率/容積率 70%/200%
建物面積 -
土地面積 1,080.59㎡ /326.87坪
築年月 -
入居(引き渡し)時期 相談
用途地域 無指定 地目 宅地  (現状:宅地)
都市計画 市街化調整区域 学校区 十日町小学校(471m)・岡南中学校(823m)
形状 間口 13.4m × 奥行 64.0m 道路 東:県道滝谷三和線幅員約6.7m/西:赤道幅員約1.8m
私道 - その他の制限 -
  • 【区画①分譲地】長岡市十日町3区画分譲地
    有限会社 ABCホーム
  • この物件を問い合わせる/無料
  • TEL: 0258-35-6682

物件詳細情報

所在階/階数 - 号室 -
販売価格 6,200,000円 方位 -
間取り -
専有面積 - バルコニー面積 -
その他面積 - 駐車場 -
管理費 - 修繕積立金 -
現況 更地
仲介手数料 なし
利用制限 -
設備 前道6m以上、更地、建築条件なし、所有権、側溝、LPG、上水道(前面道路)、下水道(前面道路)、電気、上水道(宅地内)、下水道(宅地内)、住宅向け、田舎暮らし
取引態様 売主
備考 ○一般住宅建築の際は都市計画法第43条の許可が必要となります。※費用負担は売主にて
取り扱い会社

有限会社 ABCホーム

新潟県長岡市曙1-1-7

情報登録日 2025/12/06 次回更新予定日 2026/05/14
取引条件有効期限 2026/02/28
  • 【区画①分譲地】長岡市十日町3区画分譲地
    有限会社 ABCホーム
  • この物件を問い合わせる/無料
  • TEL: 0258-35-6682

この物件の地図・周辺情報・行政情報

この物件の周辺情報・行政情報を詳しく見る
【周辺情報】
物件の近くにあるコンビニや銀行・学校など、アイコン付のマップで詳しく表示できます!
【行政情報】
水道料や下水道料・ガス料金など、暮らしに関係のある情報を表示しています。

担当取扱い店舗情報

取扱い店舗画像
有限会社 ABCホーム
TEL: 0258-35-6682
所在地: 新潟県長岡市曙1-1-7
交通:
営業時間: 9:00~18:00/定休日:
免許番号: 新潟県知事(4)4781号 この会社の情報を詳しく見る
所属団体名: 新潟県宅地建物取引業協会 長岡支部
取引態様: 売主
ホームページ: http://abc-home.d.dooo.jp/