| 敷地内、車庫は希望があれば売主にて解体します | |||
| 物件コード | 00017-200363 | ||
|---|---|---|---|
| 物件名 | 【区画①分譲地】長岡市十日町3区画分譲地 | ||
| 交通 | 駅:上越線 越後滝谷駅から徒歩24分、バス:小山口から徒歩2分 | ||
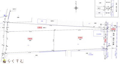
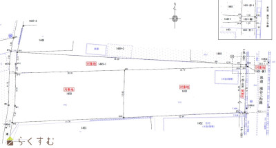
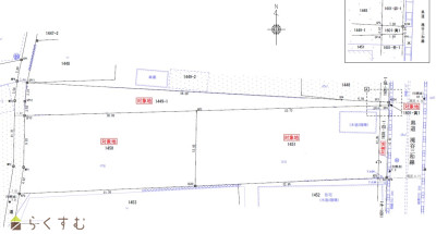
| 物件所在地 | 新潟県長岡市十日町字西野々1450番ほか | ||
| 物件種別 | 売土地・分譲地 | ||
| 物件区分 | 売土地 | ||
| 構造 | - | 階建 | - |
| 建ぺい率/容積率 | 70%/200% | ||
| 建物面積 | - | ||
| 土地面積 | 1,080.59㎡ /326.87坪 | ||
| 築年月 | - | ||
| 入居時期 | 相談 | ||
| 用途地域 | 無指定 | 地目 | 宅地 (現状:宅地) |
| 都市計画 | 市街化調整区域 | 学校区 | 十日町小学校(471m)・岡南中学校(823m) |
| 形状 | 間口 13.4m × 奥行 64.0m | 道路 | 東:県道滝谷三和線幅員約6.7m/西:赤道幅員約1.8m |
| 私道 | - | ||
| 所在階/階数 | - | 号室 | - |
|---|---|---|---|
| 販売価格 | 6,500,000円 | 方位 | - |
| 間取り | - | ||
| 専有面積 | - | バルコニー面積 | - |
| その他面積 | - | 駐車場 | - |
| 管理費 | - | 修繕積立金 | - |
| 現況 | 更地 | ||
| 仲介手数料 | なし | ||
| 利用制限 | - | ||
| 設備 | 前道6m以上、更地、建築条件なし、所有権、側溝、LPG、上水道(前面道路)、下水道(前面道路)、電気、上水道(宅地内)、下水道(宅地内)、住宅向け、田舎暮らし | ||
| 取引態様 | 売主 | ||
| 備考 | ○一般住宅建築の際は都市計画法第43条の許可が必要となります。※費用負担は売主にて | ||
| 情報登録日 | 2025/12/05 | 次回更新予定日 | 2025/12/20 |
| 取引条件有効期限 | 2026/02/28 | ||
|
|
|
|
| TEL: | 0258-35-6682 |
|---|---|
| 所在地: | 新潟県長岡市曙1-1-7 |
| 交通: | |
| 営業時間: | 9:00~18:00/定休日: |
| 免許番号: | 新潟県知事(4)4781号 |
| 所属団体名: | 新潟県宅地建物取引業協会 長岡支部 |
| 取引態様: | 売主 |