物件掲載企業数:301|賃貸物件:3,192件|売買物件:3,237件|今週の登録物件:290
閲覧中のブラウザ(インターネットエクスプローラー)は非推奨ブラウザです。
物件が正しく表示されなかったり、正しく検索されない場合があります。最新のブラウザ(Google Chrome・Edgeなど)にてご利用お願いいたします。
  

新潟県上越市東城町2丁目628-2 売土地・分譲地 6,950,000円の物件情報

物件名/所在地 詳細 価格
上越市東城町2丁目 分譲地 
新潟県上越市東城町2丁目628-2
  • [土地面積]
    191.8㎡ /58.01坪
  • [坪単価]
    119,806円/坪
6,950,000
9,150,000
  • 上越市東城町2丁目 分譲地 
    ミニミニFC上越店 ㈱インカムハウジング
  • この物件を問い合わせる/無料
  • TEL: 025-525-8112

物件画像

外観 間取り
物件画像
※画像クリックで拡大表示
外観
物件画像
※画像クリックで拡大表示
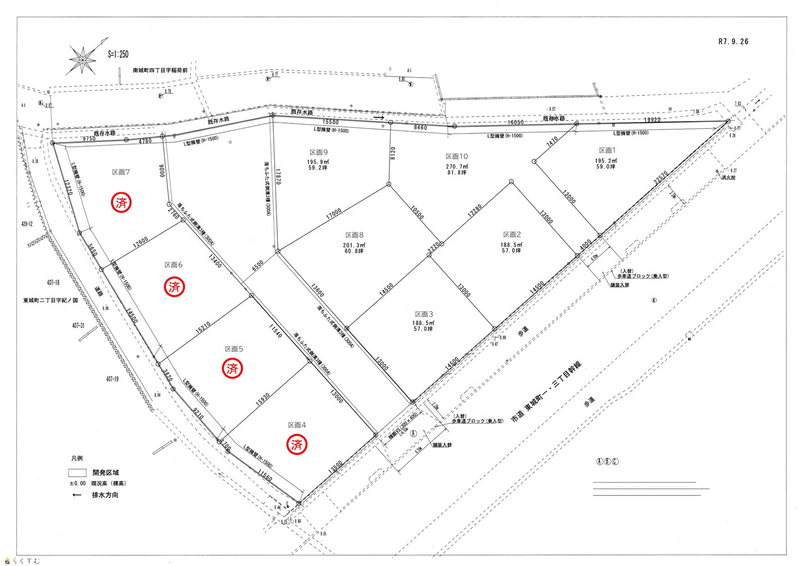
残り6区画‼
詳細画像


物件概要

物件コード 00282-200019
物件名 上越市東城町2丁目 分譲地 
交通 駅:高田から徒歩35分
物件所在地 新潟県上越市東城町2丁目628-2
物件種別 売土地・分譲地
物件区分 分譲地
構造 - 階建 -
建ぺい率 60
容積率 200
建物面積 -
土地面積 191.8㎡ /58.01坪
販売区画数 7区画
総区画数 10区画
開発面積 2422.9㎡
築年月 -
入居(引き渡し)時期 7月末
用途地域 第1種中高層住居専用地域 地目 宅地
都市計画 市街化区域 学校区 大手町小学校(1,303m)・城東中学校(611m)
形状 - 道路 -
私道 - その他の制限 -
造成完成時期 2026年7月末
許認可番号 上都指令第46号
開発スケジュール -
  • 上越市東城町2丁目 分譲地 
    ミニミニFC上越店 ㈱インカムハウジング
  • この物件を問い合わせる/無料
  • TEL: 025-525-8112

物件詳細情報

所在階/階数 - 号室 -
販売価格 6,950,000円 ~ 9,150,000円 方位 -
最多価格帯 -
間取り -
専有面積 - バルコニー面積 -
その他面積 - 駐車場 -
管理費 - 修繕積立金 -
現況 更地
仲介手数料 なし
利用制限 -
設備 前道6m以上、建築条件なし、所有権、側溝、電気、上水道(宅地内)、下水道(宅地内)、住宅向け
取引態様 売主
備考 -
取り扱い会社

ミニミニFC上越店 ㈱インカムハウジング

新潟県上越市大学前54-2

情報登録日 2026/04/18 次回更新予定日 2026/05/12
取引条件有効期限 2026/12/31
  • 上越市東城町2丁目 分譲地 
    ミニミニFC上越店 ㈱インカムハウジング
  • この物件を問い合わせる/無料
  • TEL: 025-525-8112

この物件の地図・周辺情報・行政情報

この物件の周辺情報・行政情報を詳しく見る
【周辺情報】
物件の近くにあるコンビニや銀行・学校など、アイコン付のマップで詳しく表示できます!
【行政情報】
水道料や下水道料・ガス料金など、暮らしに関係のある情報を表示しています。
セブン-イレブン 上越東城店(コンビニ)まで260m

※カメラのアイコンがある場合は、マウスをポイントするとその施設の画像がご覧いただけます。


担当取扱い店舗情報

取扱い店舗画像
ミニミニFC上越店 ㈱インカムハウジング
TEL: 025-525-8112
所在地: 新潟県上越市大学前54-2
交通:
営業時間: /定休日:
免許番号: 新潟県知事(4)第4953号 この会社の情報を詳しく見る
所属団体名: 公社 新潟県宅地建物取引協会 上越支部
取引態様: 売主
ホームページ: http://incomehouse.jp/