物件掲載企業数:297|賃貸物件:3,619件|売買物件:3,313件|今週の登録物件:270
閲覧中のブラウザ(インターネットエクスプローラー)は非推奨ブラウザです。
物件が正しく表示されなかったり、正しく検索されない場合があります。最新のブラウザ(Google Chrome・Edgeなど)にてご利用お願いいたします。
  

新潟県上越市上中田 売土地・分譲地 129,150,000円の物件情報

工場、事務所建設用地に!準工業地域!インター&新幹線近く好立地な産業団地です。

物件名/所在地 詳細 価格
首都圏から一番近い日本海のまち 上越高田インター産業団地
新潟県上越市上中田
  • 土地面積
    :7,127㎡ /2,155.91坪
  • 坪単価
    :59,905円/坪
  • 建ぺい率
    :60%
  • 容積率
    :200%
129,150,000
  • 首都圏から一番近い日本海のまち 上越高田インター産業団地
    楽栄不動産株式会社
  • この物件を問い合わせる/無料
  • TEL: 0255-72-0003

物件画像

外観 間取り
物件画像
※画像クリックで拡大表示
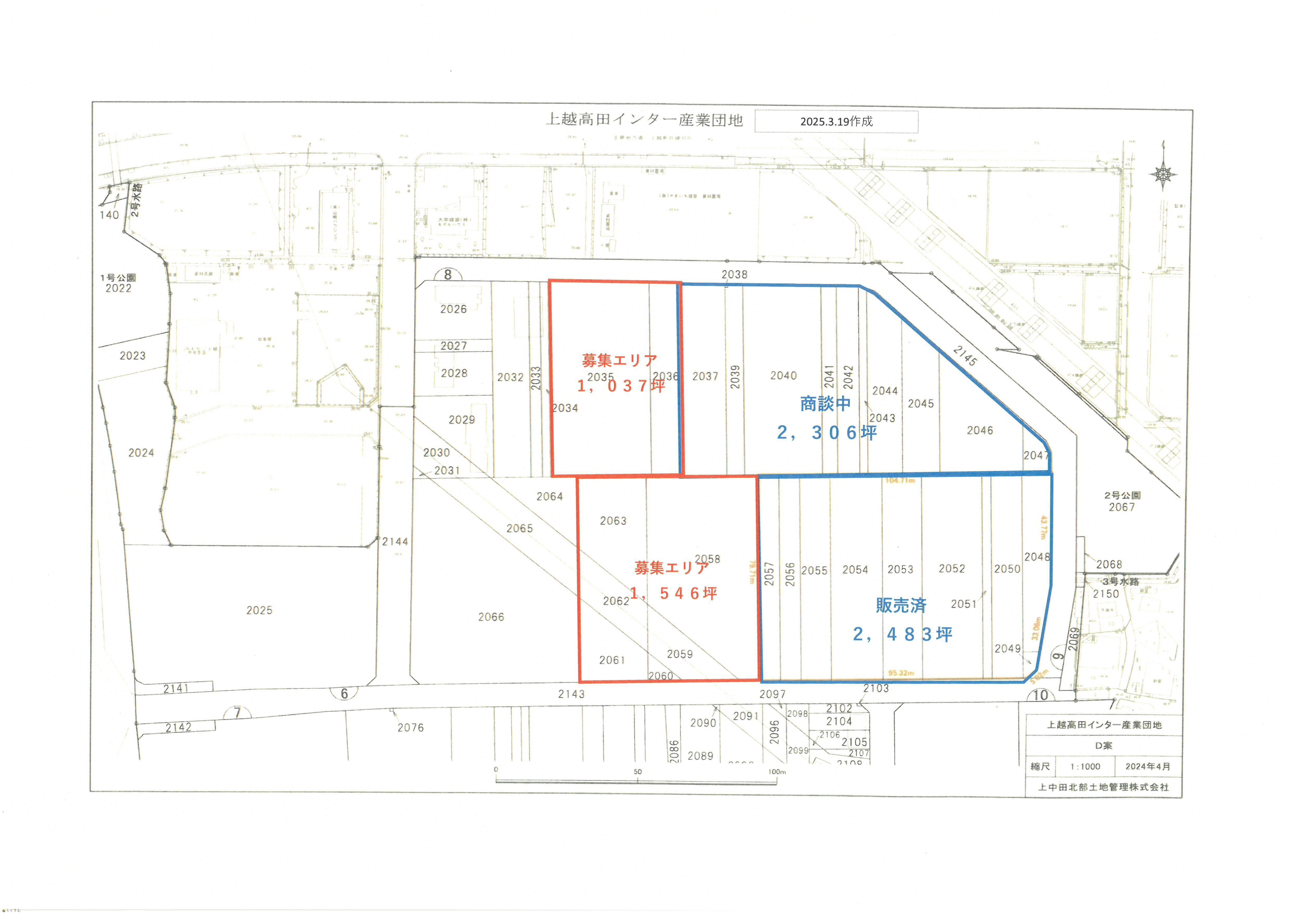
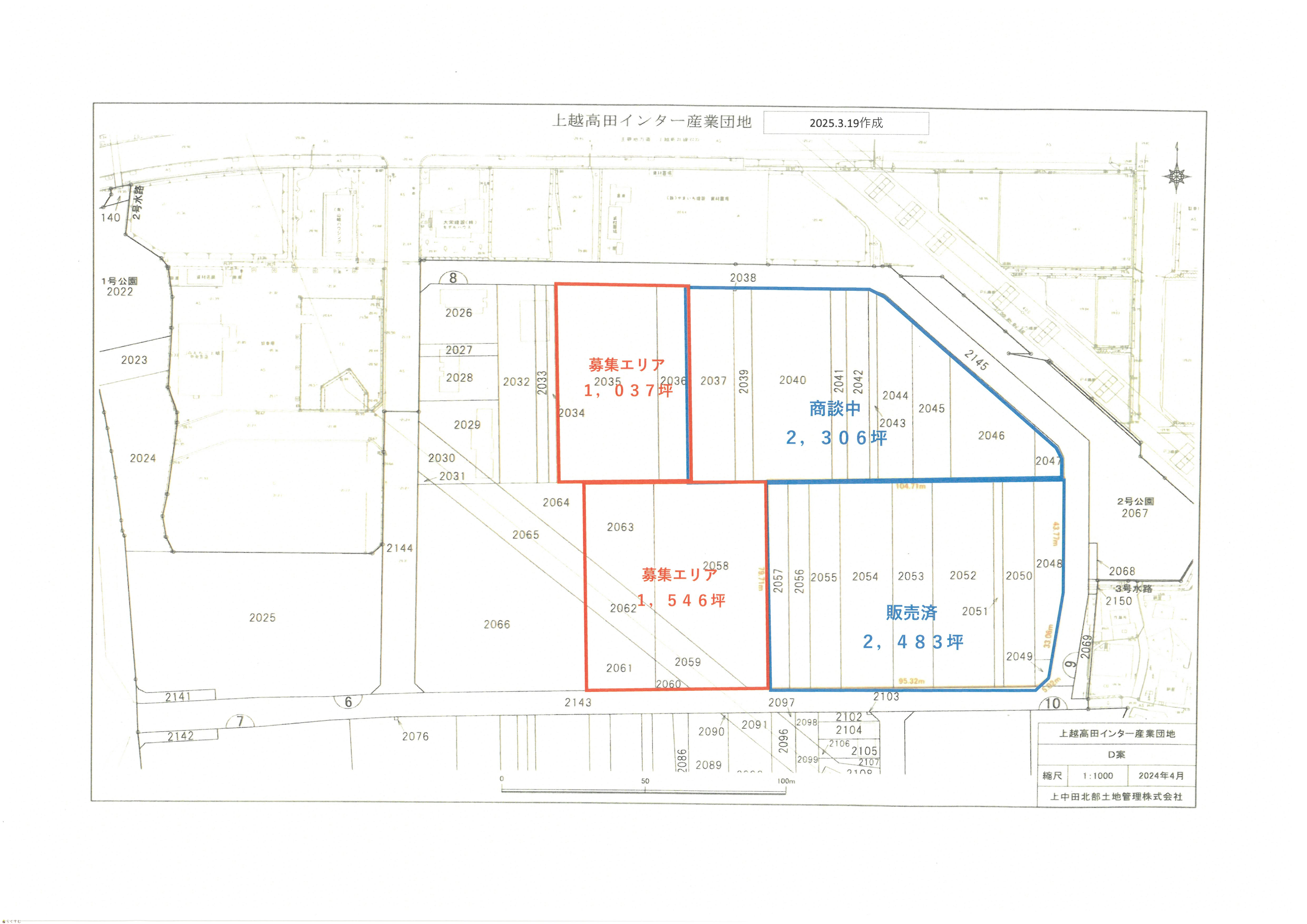
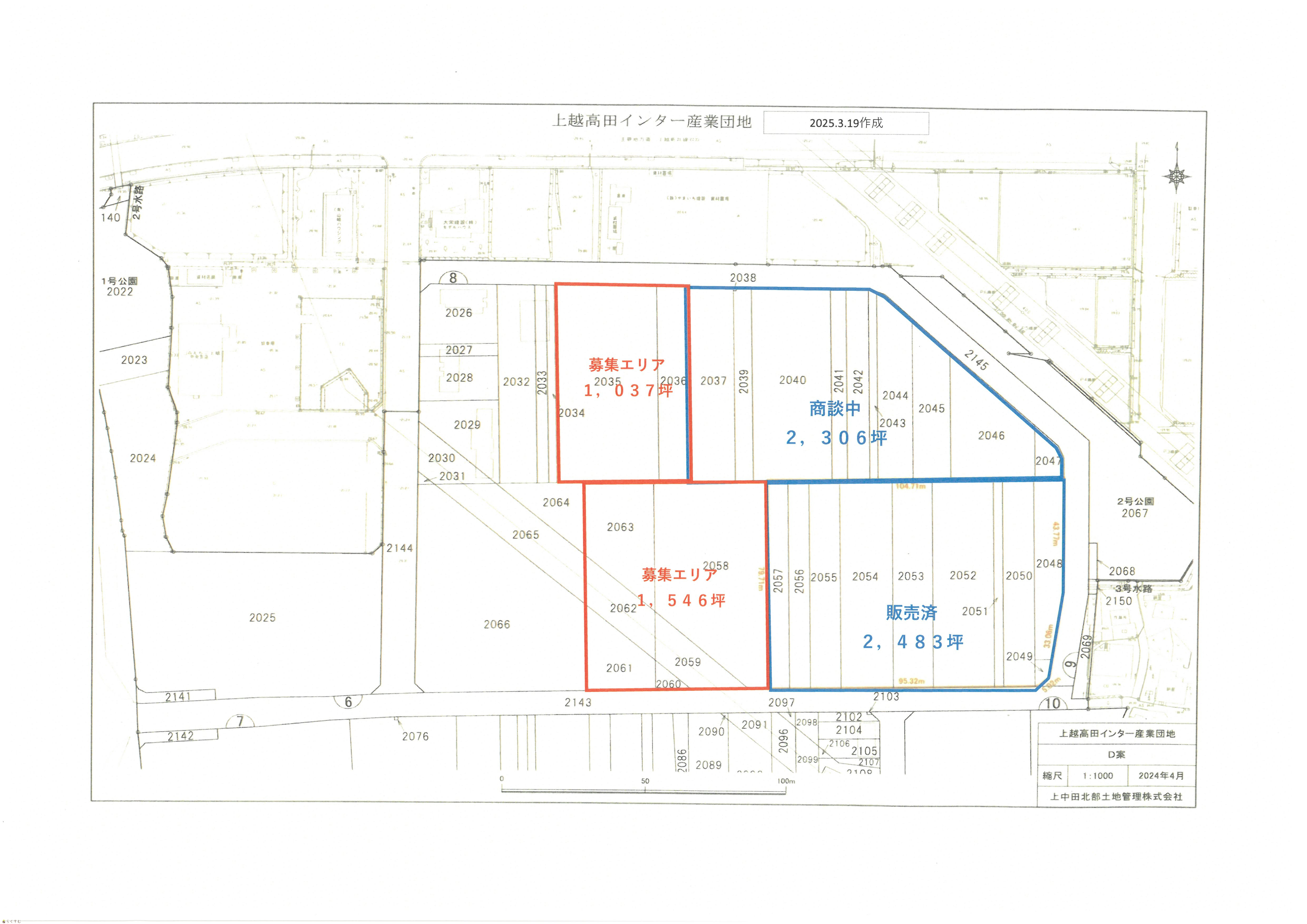
募集区画 土地利用計画図
物件画像
※画像クリックで拡大表示
間取り
詳細画像


物件概要

坪単価5万円/分割可能
物件コード 00265-200123
物件名 首都圏から一番近い日本海のまち 上越高田インター産業団地
交通 駅:妙高はねうまライン 上越妙高駅から徒歩24分、バス:中中田から徒歩5分
物件所在地 新潟県上越市上中田
物件種別 売土地・分譲地
物件区分 売土地
構造 - 階建 -
建ぺい率/容積率 60%/200%
建物面積 -
土地面積 7,127㎡ /2,155.91坪
築年月 -
入居(引き渡し)時期 相談
用途地域 準工業地域 地目 畑  (現状:宅地)
都市計画 市街化区域 学校区 黒田小学校(956m)・城西中学校(1,230m)
形状 - 道路 上越市道 幅員9m 除雪道
私道 - その他の制限 地区計画、農地法、景観法、国土法
  • 首都圏から一番近い日本海のまち 上越高田インター産業団地
    楽栄不動産株式会社
  • この物件を問い合わせる/無料
  • TEL: 0255-72-0003

物件詳細情報

所在階/階数 - 号室 -
販売価格 129,150,000円 方位 -
間取り -
専有面積 - バルコニー面積 -
その他面積 - 駐車場 -
管理費 - 修繕積立金 -
現況 更地
仲介手数料 4,327,950円
利用制限 -
設備 整形地、前道6m以上、南側道路面す、更地、スーパー近く、分割可能、建築条件なし、所有権、側溝、都市ガス(前面道路)、上水道(前面道路)、下水道(前面道路)、電気、都市ガス(宅地内)、上水道(宅地内)、下水道(宅地内)、事業用向け
取引態様 専任
備考 -
取り扱い会社

楽栄不動産株式会社

新潟県妙高市雪森645-1

情報登録日 2025/08/18 次回更新予定日 2025/12/30
取引条件有効期限 2024/09/30
  • 首都圏から一番近い日本海のまち 上越高田インター産業団地
    楽栄不動産株式会社
  • この物件を問い合わせる/無料
  • TEL: 0255-72-0003

この物件の地図・周辺情報・行政情報

この物件の周辺情報・行政情報を詳しく見る
【周辺情報】
物件の近くにあるコンビニや銀行・学校など、アイコン付のマップで詳しく表示できます!
【行政情報】
水道料や下水道料・ガス料金など、暮らしに関係のある情報を表示しています。

担当取扱い店舗情報

取扱い店舗画像
楽栄不動産株式会社
TEL: 0255-72-0003
所在地: 新潟県妙高市雪森645-1
交通: 妙高はねうまライン北井駅
営業時間: 8時~17時/定休日:土・日・祝日、その他夏季・年末年始
免許番号: 新潟県知事(12)第2463号 この会社の情報を詳しく見る
所属団体名: 公社 新潟県宅地建物取引協会 上越支部
取引態様: 専任
ホームページ: https://rakuei.info/