物件掲載企業数:301|賃貸物件:3,172件|売買物件:3,243件|今週の登録物件:159
閲覧中のブラウザ(インターネットエクスプローラー)は非推奨ブラウザです。
物件が正しく表示されなかったり、正しく検索されない場合があります。最新のブラウザ(Google Chrome・Edgeなど)にてご利用お願いいたします。
  

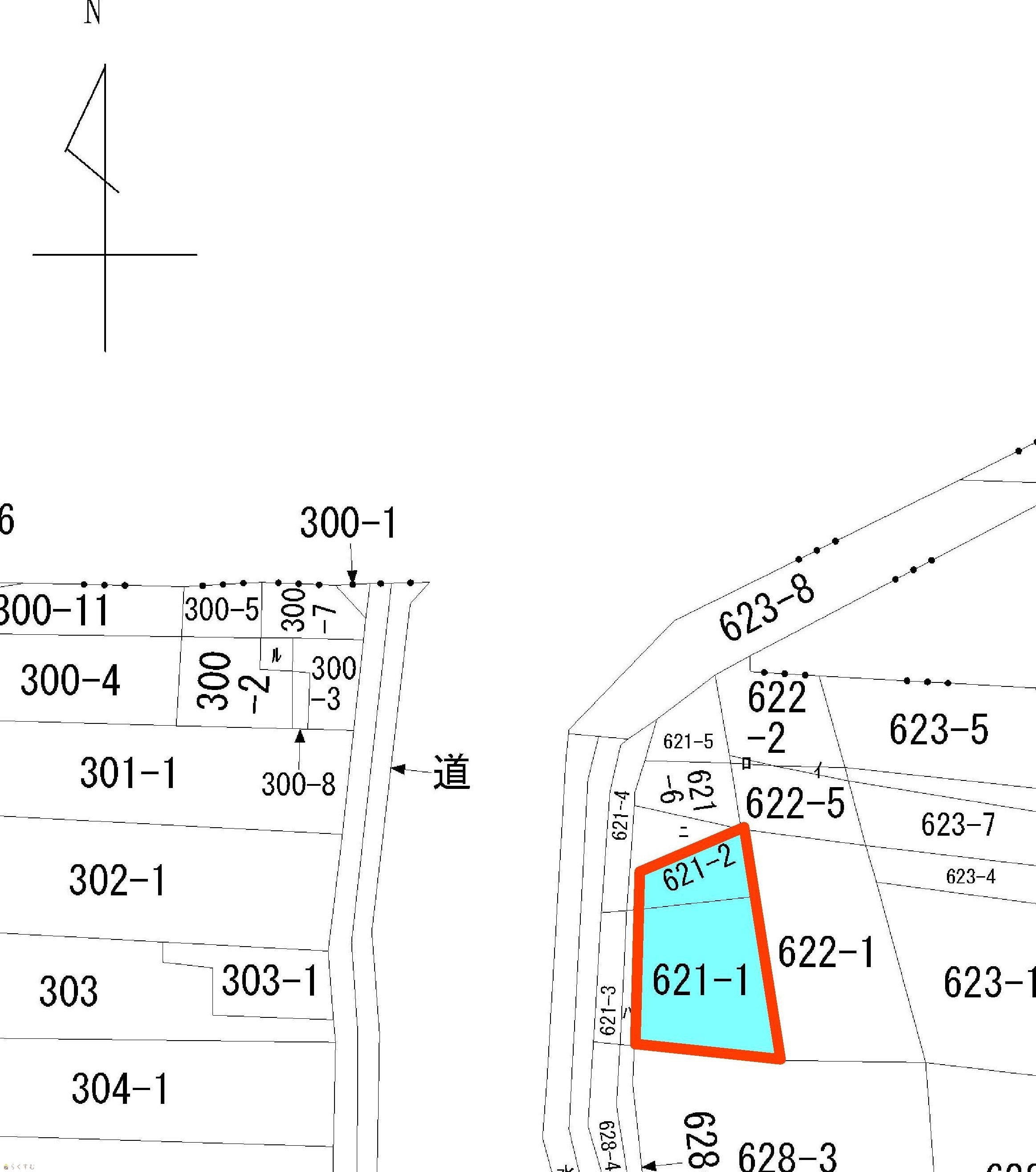
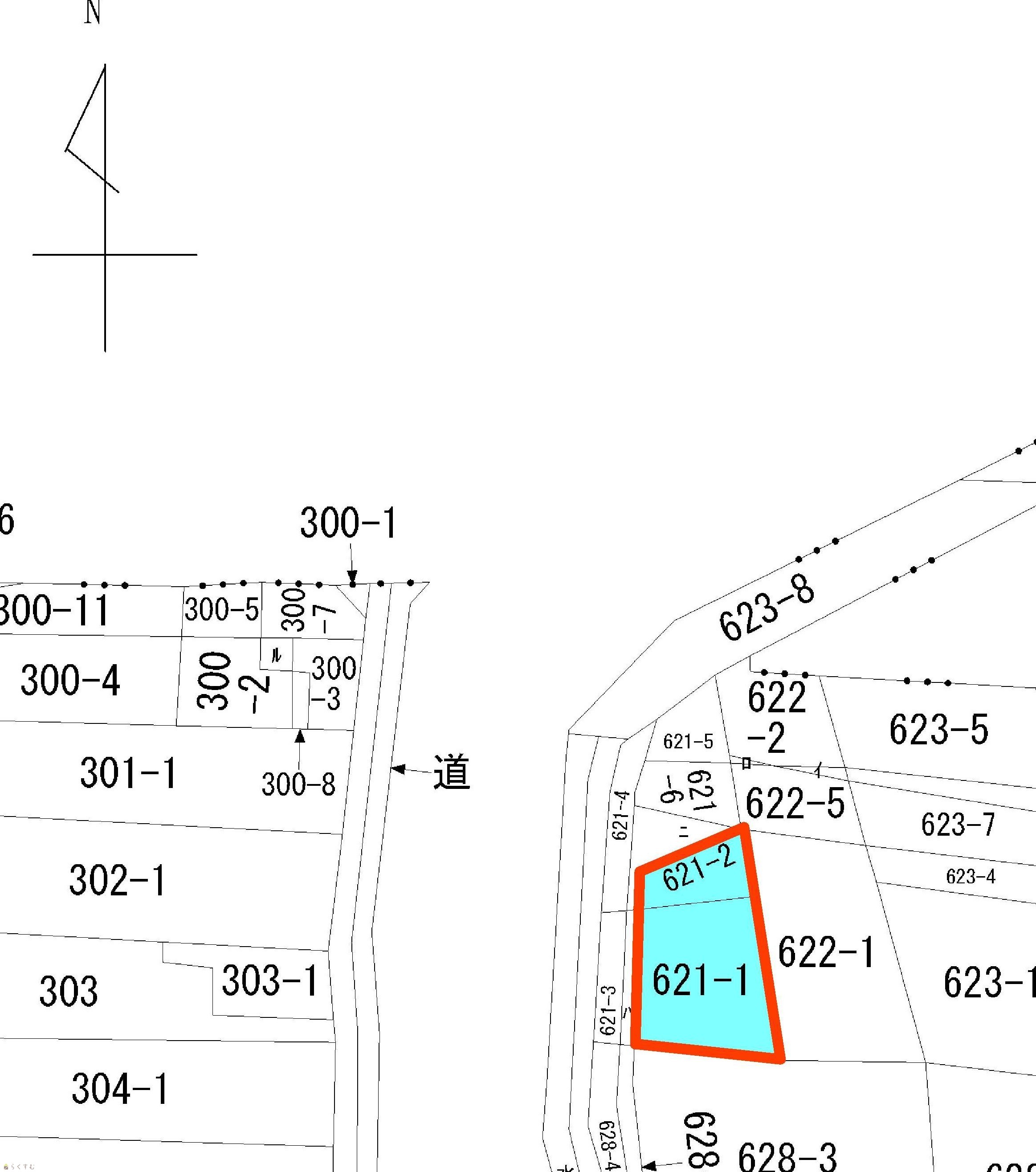
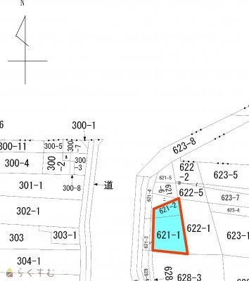
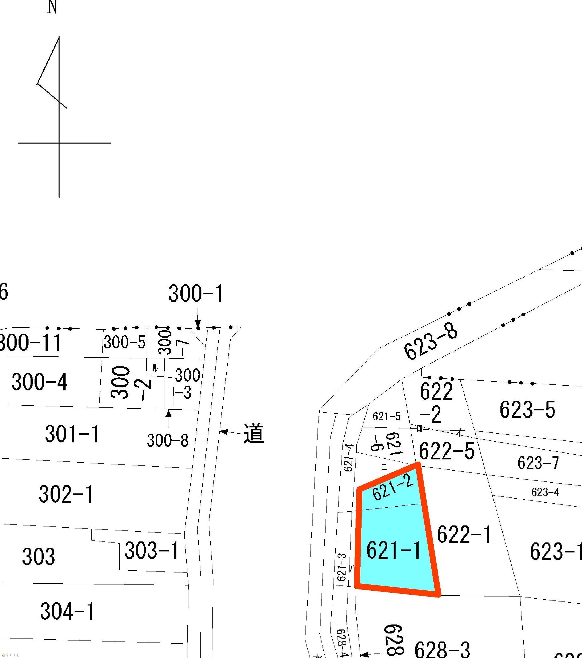
新潟県柏崎市柳橋町621-1、621-2 売土地・分譲地 1,808,000円の物件情報

柏崎駅近く22坪!

物件名/所在地 詳細 価格
柳橋町22.6坪 駐車場、倉庫用地に☆
新潟県柏崎市柳橋町621-1、621-2
  • 土地面積
    :74.74㎡ /22.6坪
  • 坪単価
    :80,000円/坪
  • 建ぺい率
    :70%
  • 容積率
    :200%
1,808,000
  • 柳橋町22.6坪 駐車場、倉庫用地に☆
    株式会社 ai-will
  • この物件を問い合わせる/無料
  • TEL: 0257-35-5370

物件画像

外観 間取り
物件画像
※画像クリックで拡大表示
外観
物件画像
※画像クリックで拡大表示
間取り
詳細画像


物件概要

駐車場、倉庫用地に最適☆
物件コード 00037-200115
物件名 柳橋町22.6坪 駐車場、倉庫用地に☆
交通 駅:信越線 柏崎駅から徒歩7分、バス:柏崎駅南口から徒歩5分
物件所在地 新潟県柏崎市柳橋町621-1、621-2
物件種別 売土地・分譲地
物件区分 売土地
構造 - 階建 -
建ぺい率/容積率 70%/200%
建物面積 -
土地面積 74.74㎡ /22.6坪
築年月 -
入居(引き渡し)時期 随時入居(引き渡し)可
用途地域 第1種住居地域 地目 宅地
都市計画 非線引き都市計画区域 学校区 枇杷島小学校(332m)・鏡が沖中学校(1,367m)
形状 間口 9m × 奥行 8m 道路 西、北側 柏崎市道
私道 - その他の制限 -
  • 柳橋町22.6坪 駐車場、倉庫用地に☆
    株式会社 ai-will
  • この物件を問い合わせる/無料
  • TEL: 0257-35-5370

物件詳細情報

所在階/階数 - 号室 -
販売価格 1,808,000円 方位 -
間取り -
専有面積 - バルコニー面積 -
その他面積 - 駐車場 -
管理費 - 修繕積立金 -
現況 更地
仲介手数料 330,000円
利用制限 -
設備 角地、更地、最寄り駅近く、建築条件なし、所有権、即引き渡し可、事業用向け
取引態様 一般
備考 駐車場、倉庫用地に最適☆
取り扱い会社

株式会社 ai-will

新潟県柏崎市田中10-31

情報登録日 2026/01/27 次回更新予定日 2026/05/18
取引条件有効期限 2026/12/31
  • 柳橋町22.6坪 駐車場、倉庫用地に☆
    株式会社 ai-will
  • この物件を問い合わせる/無料
  • TEL: 0257-35-5370

この物件の地図・周辺情報・行政情報

この物件の周辺情報・行政情報を詳しく見る
【周辺情報】
物件の近くにあるコンビニや銀行・学校など、アイコン付のマップで詳しく表示できます!
【行政情報】
水道料や下水道料・ガス料金など、暮らしに関係のある情報を表示しています。
第四北越銀行 柏崎支店(銀行)まで800m
柏崎信用金庫 南支店(銀行)まで680m
新潟県労働金庫 柏崎支店(銀行)まで1000m
大光銀行 柏崎支店(銀行)まで920m
柏崎枇杷島郵便局(郵便局)まで340m

※カメラのアイコンがある場合は、マウスをポイントするとその施設の画像がご覧いただけます。


担当取扱い店舗情報

取扱い店舗画像
株式会社 ai-will
TEL: 0257-35-5370
所在地: 新潟県柏崎市田中10-31
交通: 国道8号線よりすぐ
営業時間: 平日9:00~18:00土日祝10:00~16:0/定休日:当社規定 (お盆・年末年始・GW)
免許番号: 新潟県知事(4)4821号 この会社の情報を詳しく見る
所属団体名: 新潟県宅地建物取引協会 柏崎支部
取引態様: 一般
ホームページ: http://www.ai-will.co.jp/