
北園町分譲地⑤ 詳細
お気に入り
追加済み
物件画像を詳しく見る

北園町に全8区画分譲地!建築条件無し!仲介料無し!
物件概要
自然豊かな暮らしを。
-
物件コード
00292-200025
-
物件名
北園町分譲地⑤
-
交通
駅:越後線 東柏崎駅から徒歩15分、バス:ソルトスパ潮風から徒歩2分
-
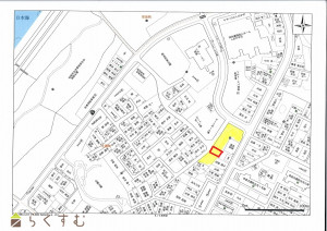
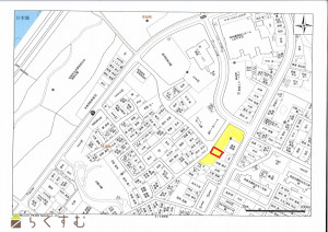
所在地
新潟県柏崎市北園町
物件へのルート表示
-
物件種別
売土地・分譲地
-
物件区分
売土地
-
構造
-
-
階建
-
-
建ぺい率/容積率
60%/200%
-
建物面積
-
-
土地面積
180.03㎡
/54.45坪
-
築年月
-
-
入居時期
随時入居(引き渡し)可
-
用途地域
第1種中高層住居専用地域
-
地目
宅地 (現状:宅地)
-
都市計画
非線引き都市計画区域
-
形状
間口 10.93m × 奥行 16.24m
-
道路
北西:公道7m(幅員)
-
私道
-
-
その他の制限
建築基準法第22条区域
物件詳細情報
-
所在階/階数
-
-
号室
-
-
販売価格
5,000,000円
-
方位
-
-
間取り
-
-
専有面積
-
-
バルコニー面積
-
-
その他面積
-
-
駐車場
-
-
管理費
-
-
修繕積立金
-
-
現況
更地
-
仲介手数料
なし
-
利用制限
-
-
学校区
柏崎小学校(1,148m)・第一中学校(889m)
-
設備
整形地、前道6m以上、更地、閑静な住宅街、建築条件なし、所有権、側溝、電気、都市ガス(宅地内)、上水道(宅地内)、下水道(宅地内)、住宅向け
-
取引態様
売主
-
情報登録日
2026/03/03
-
次回更新予定日
2026/04/21
-
取引条件有効期限
2025/09/30
備考
取扱い会社
有限会社ひまわりネットワーク
-
TEL
0257-22-0851
-
所在地
新潟県柏崎市宮場町9番23号
-
交通
柏﨑駅南口から約950m(約12分)
-
営業時間
平日9:00~17:00(土12:00まで)/定休日:日曜・祝日
-
免許番号
新潟県知事(6)第4167号
-
所属団体名
(公社)新潟県宅地建物取引業協会 (一社)全国賃貸不動産管理業協会(全宅管理)
-
取引態様
売主
Copyright (C) 株式会社 コモンライフ・コーポレーション. All Rights Reserved.
不動産検索サイト「らくすむ」及び関連サイトに記載の不動産情報は、会員規約に則り、情報提供会社様の責任のもとに発信されております。
不動産の賃借、購入に関しては賃借者、購入者ご自身が情報を確認され、会社企業様から説明を受けられたうえで判断をお願いいたします。
不動産検索サイト「らくすむ」及び関連サイトに記載の不動産情報、写真、デザイン、コンテンツなどの無断転載・転用・複製など禁止します。