
首都圏から一番近い日本海のまち 上越高田インター産業団地 詳細
お気に入り
追加済み
物件画像を詳しく見る

工場、事務所建設用地に!準工業地域!インター&新幹線近く好立地な産業団地です。
物件概要
坪単価5万円/分割可能
-
物件コード
00265-200123
-
物件名
首都圏から一番近い日本海のまち 上越高田インター産業団地
-
交通
駅:妙高はねうまライン 上越妙高駅から徒歩24分、バス:中中田から徒歩5分
-
所在地
新潟県上越市上中田
物件へのルート表示
-
物件種別
売土地・分譲地
-
物件区分
売土地
-
構造
-
-
階建
-
-
建ぺい率/容積率
60%/200%
-
建物面積
-
-
土地面積
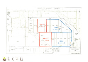
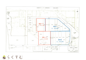
7,127㎡
/2,155.91坪
-
築年月
-
-
入居時期
相談
-
用途地域
準工業地域
-
地目
畑 (現状:宅地)
-
都市計画
市街化区域
-
形状
-
-
道路
上越市道 幅員9m 除雪道
-
私道
-
-
その他の制限
地区計画、農地法、景観法、国土法
物件詳細情報
-
所在階/階数
-
-
号室
-
-
販売価格
129,150,000円
-
方位
-
-
間取り
-
-
専有面積
-
-
バルコニー面積
-
-
その他面積
-
-
駐車場
-
-
管理費
-
-
修繕積立金
-
-
現況
更地
-
仲介手数料
4,327,950円
-
利用制限
-
-
学校区
黒田小学校(956m)・城西中学校(1,230m)
-
設備
整形地、前道6m以上、南側道路面す、更地、スーパー近く、分割可能、建築条件なし、所有権、側溝、都市ガス(前面道路)、上水道(前面道路)、下水道(前面道路)、電気、都市ガス(宅地内)、上水道(宅地内)、下水道(宅地内)、事業用向け
-
取引態様
専任
-
情報登録日
2025/08/18
-
次回更新予定日
2026/01/02
-
取引条件有効期限
2024/09/30
備考
取扱い会社
楽栄不動産株式会社
-
TEL
0255-72-0003
-
所在地
新潟県妙高市雪森645-1
-
交通
妙高はねうまライン北井駅
-
営業時間
8時~17時/定休日:土・日・祝日、その他夏季・年末年始
-
免許番号
新潟県知事(12)第2463号
-
所属団体名
公社 新潟県宅地建物取引協会 上越支部
-
取引態様
専任
Copyright (C) 株式会社 コモンライフ・コーポレーション. All Rights Reserved.
不動産検索サイト「らくすむ」及び関連サイトに記載の不動産情報は、会員規約に則り、情報提供会社様の責任のもとに発信されております。
不動産の賃借、購入に関しては賃借者、購入者ご自身が情報を確認され、会社企業様から説明を受けられたうえで判断をお願いいたします。
不動産検索サイト「らくすむ」及び関連サイトに記載の不動産情報、写真、デザイン、コンテンツなどの無断転載・転用・複製など禁止します。