
来迎寺売土地 詳細
お気に入り
追加済み
物件画像を詳しく見る

来迎寺駅徒歩9分!!
物件概要
商業地も近く来迎寺の中心部、前面道路融雪あり
-
物件コード
00130-200015
-
物件名
来迎寺売土地
-
交通
駅:信越線 来迎寺駅から徒歩9分、バス:来迎寺駅前から徒歩2分
-
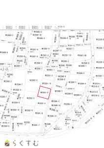
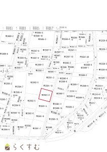
所在地
新潟県長岡市来迎寺2591-4
物件へのルート表示
-
物件種別
売土地・分譲地
-
物件区分
売土地
-
構造
-
-
階建
-
-
建ぺい率/容積率
60%/200%
-
建物面積
-
-
土地面積
199.96㎡
/60.48坪
-
築年月
-
-
入居時期
相談
-
用途地域
第1種住居地域
-
地目
宅地 (現状:建物あり,成約次第解体)
-
都市計画
市街化区域
-
形状
間口 14m × 奥行 14m
-
道路
前面二項道路
-
私道
-
-
その他の制限
-
物件詳細情報
-
所在階/階数
-
-
号室
-
-
販売価格
3,000,000円
-
方位
-
-
間取り
-
-
専有面積
-
-
バルコニー面積
-
-
その他面積
-
-
駐車場
-
-
管理費
-
-
修繕積立金
-
-
現況
-
仲介手数料
154,000円
-
利用制限
-
-
学校区
越路小学校(1,279m)・越路中学校(726m)
-
設備
スーパー近く、最寄り駅近く、閑静な住宅街、建築条件なし、所有権、側溝、都市ガス(前面道路)、上水道(前面道路)、下水道(前面道路)、電気、都市ガス(宅地内)、上水道(宅地内)、下水道(宅地内)、前面道路融雪設備あり、住宅向け
-
取引態様
専任
-
情報登録日
2024/07/05
-
次回更新予定日
2026/04/16
-
取引条件有効期限
2024/05/31
備考
取扱い会社
株式会社 空間クリエイティブ
Copyright (C) 株式会社 コモンライフ・コーポレーション. All Rights Reserved.
不動産検索サイト「らくすむ」及び関連サイトに記載の不動産情報は、会員規約に則り、情報提供会社様の責任のもとに発信されております。
不動産の賃借、購入に関しては賃借者、購入者ご自身が情報を確認され、会社企業様から説明を受けられたうえで判断をお願いいたします。
不動産検索サイト「らくすむ」及び関連サイトに記載の不動産情報、写真、デザイン、コンテンツなどの無断転載・転用・複製など禁止します。