
柏崎市柳橋町売土地 詳細
お気に入り
追加済み
物件画像を詳しく見る

90.50坪、国道8号線至近、柏崎駅まで750m徒歩10分
物件概要
-
物件コード
00088-200627
-
物件名
柏崎市柳橋町売土地
-
交通
駅:信越線 柏崎駅から徒歩8分、バス:枇杷島から徒歩4分
-
所在地
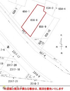
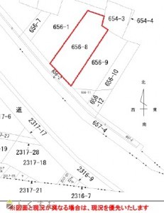
新潟県柏崎市柳橋町656-8
物件へのルート表示
-
物件種別
売土地・分譲地
-
物件区分
売土地
-
構造
-
-
階建
-
-
建ぺい率/容積率
80%/400%
-
建物面積
-
-
土地面積
299.2㎡
/90.5坪
-
築年月
-
-
入居時期
相談
-
用途地域
商業地域
-
地目
宅地
-
都市計画
非線引き都市計画区域
-
形状
-
-
道路
公道
-
私道
-
-
その他の制限
-
物件詳細情報
-
所在階/階数
-
-
号室
-
-
販売価格
5,500,000円
-
方位
-
-
間取り
-
-
専有面積
-
-
バルコニー面積
-
-
その他面積
-
-
駐車場
-
-
管理費
-
-
修繕積立金
-
-
現況
-
仲介手数料
330,000円
-
利用制限
-
-
学校区
枇杷島小学校(109m)・鏡が沖中学校(1,185m)
-
設備
南側道路面す、更地、学校近く、建築条件なし、所有権、電気、都市ガス(宅地内)、上水道(宅地内)、下水道(宅地内)、住宅向け
-
取引態様
一般
-
情報登録日
2024/08/06
-
次回更新予定日
2026/04/16
-
取引条件有効期限
2024/11/06
備考
現況有姿での売買となります。
除雪は入りません。
前面道路は車両通行禁止です。(軽車両を除く)通行するには、警察署の許可が必要になります。(3年更新)
浸水ハザードマップ該当地域です。(盛土がしてあります。)
水路の使用許可は、柏崎市の許可が必要です。
仲介手数料別途
取扱い会社
株式会社 ホーメックス
-
TEL
0257-24-0034
-
所在地
新潟県柏崎市土合628-1
-
交通
-
営業時間
8:30~17:30/定休日:土・日・祝(対応可能です) 年末年始・お盆・GW
-
免許番号
新潟県知事(9)第3199号
-
所属団体名
新潟県宅地建物取引業協会 柏崎支部
-
取引態様
一般
Copyright (C) 株式会社 コモンライフ・コーポレーション. All Rights Reserved.
不動産検索サイト「らくすむ」及び関連サイトに記載の不動産情報は、会員規約に則り、情報提供会社様の責任のもとに発信されております。
不動産の賃借、購入に関しては賃借者、購入者ご自身が情報を確認され、会社企業様から説明を受けられたうえで判断をお願いいたします。
不動産検索サイト「らくすむ」及び関連サイトに記載の不動産情報、写真、デザイン、コンテンツなどの無断転載・転用・複製など禁止します。