
魚沼市佐梨 売土地 詳細
お気に入り
追加済み
物件画像を詳しく見る

雪に強い丸屋根のシャッター付きガレージが付いています
物件概要
-
物件コード
00051-200010
-
物件名
魚沼市佐梨 売土地
-
交通
バス:南一条交差点から徒歩6分
-
所在地
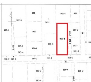
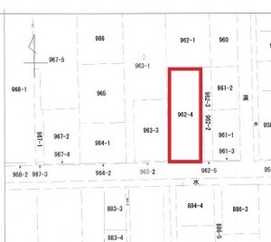
新潟県魚沼市佐梨字沢田962-4
物件へのルート表示
-
物件種別
売土地・分譲地
-
物件区分
売土地
-
構造
-
-
階建
-
-
建ぺい率/容積率
-
-
建物面積
-
-
土地面積
363㎡
/109.8坪
-
築年月
-
-
入居時期
指定なし
-
用途地域
第1種住居地域
-
地目
田
-
都市計画
-
-
形状
-
-
道路
-
-
私道
-
-
その他の制限
-
物件詳細情報
-
所在階/階数
-
-
号室
-
-
販売価格
7,686,000円
-
方位
-
-
間取り
-
-
専有面積
-
-
バルコニー面積
-
-
その他面積
-
-
駐車場
-
-
管理費
-
-
修繕積立金
-
-
現況
指定なし
-
仲介手数料
319,638円
-
利用制限
-
-
学校区
小出小学校・小出中学校
-
設備
学校近く
-
取引態様
一般
-
情報登録日
2018/08/09
-
次回更新予定日
2026/04/18
-
取引条件有効期限
-
備考
取扱い会社
有限会社 高治企画
-
TEL
0258-27-6599
-
所在地
新潟県長岡市荻野1丁目6番7号
-
交通
JR長岡駅、バス(越後交通)
-
営業時間
9:00~17:00/定休日:土曜・日曜・祭日(3月は無休)
-
免許番号
新潟県知事(6)第4078号
-
所属団体名
新潟県宅地建物取引協会 長岡支部
-
取引態様
一般
Copyright (C) 株式会社 コモンライフ・コーポレーション. All Rights Reserved.
不動産検索サイト「らくすむ」及び関連サイトに記載の不動産情報は、会員規約に則り、情報提供会社様の責任のもとに発信されております。
不動産の賃借、購入に関しては賃借者、購入者ご自身が情報を確認され、会社企業様から説明を受けられたうえで判断をお願いいたします。
不動産検索サイト「らくすむ」及び関連サイトに記載の不動産情報、写真、デザイン、コンテンツなどの無断転載・転用・複製など禁止します。