
上越市大和1丁目 (解体更地渡し) 詳細
お気に入り
追加済み
物件画像を詳しく見る

上越妙高駅まで徒歩6分の230坪の土地
物件概要
解体更地渡し、建築条件はありません
-
物件コード
00044-200704
-
物件名
上越市大和1丁目 (解体更地渡し)
-
交通
駅:北陸新幹線 上越妙高駅から徒歩6分
-
所在地
新潟県上越市大和1-8-3
物件へのルート表示
-
物件種別
売土地・分譲地
-
物件区分
売土地
-
構造
-
-
階建
-
-
建ぺい率/容積率
60%/200%
-
建物面積
-
-
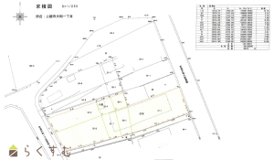
土地面積
762㎡
/230.5坪
-
築年月
-
-
入居時期
相談
-
用途地域
第1種中高層住居専用地域
-
地目
宅地 (現状:一部畑)
-
都市計画
市街化区域
-
形状
間口 10.35m
-
道路
東側6.9m
-
私道
-
-
その他の制限
-
物件詳細情報
-
所在階/階数
-
-
号室
-
-
販売価格
11,000,000円
-
方位
-
-
間取り
-
-
専有面積
-
-
バルコニー面積
-
-
その他面積
-
-
駐車場
-
-
管理費
-
-
修繕積立金
-
-
現況
空家
-
仲介手数料
429,000円
-
利用制限
-
-
学校区
大和小学校(447m)・城西中学校(1,946m)
-
設備
建築条件なし、所有権、都市ガス(前面道路)、上水道(前面道路)、下水道(前面道路)、上水道(宅地内)、住宅向け、事業用向け
-
取引態様
専任
-
情報登録日
2025/11/21
-
次回更新予定日
2025/12/29
-
取引条件有効期限
2026/01/31
備考
売買対象土地7筆の内、2筆が地目:畑です農地法の届出が必要となります。
取扱い会社
ブレイン・リアルエステート合同会社
Copyright (C) 株式会社 コモンライフ・コーポレーション. All Rights Reserved.
不動産検索サイト「らくすむ」及び関連サイトに記載の不動産情報は、会員規約に則り、情報提供会社様の責任のもとに発信されております。
不動産の賃借、購入に関しては賃借者、購入者ご自身が情報を確認され、会社企業様から説明を受けられたうえで判断をお願いいたします。
不動産検索サイト「らくすむ」及び関連サイトに記載の不動産情報、写真、デザイン、コンテンツなどの無断転載・転用・複製など禁止します。