
小千谷市大字薭生(元中子)売土地 詳細
お気に入り
追加済み
物件画像を詳しく見る

小千谷駅まで徒歩約10分。小中学校徒歩圏内です♪
物件概要
-
物件コード
00030-200080
-
物件名
小千谷市大字薭生(元中子)売土地
-
交通
駅:小千谷駅から徒歩10分、バス:東栄2丁目から徒歩3分
-
所在地
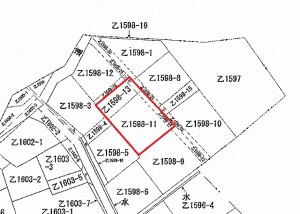
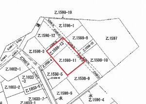
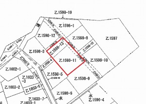
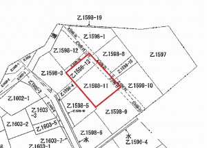
新潟県小千谷市大字薭生1598番地11
物件へのルート表示
-
物件種別
売土地・分譲地
-
物件区分
売土地
-
構造
-
-
階建
-
-
建ぺい率/容積率
60%/200%
-
建物面積
-
-
土地面積
265.54㎡
/80.32坪
-
築年月
-
-
入居時期
随時入居(引き渡し)可
-
用途地域
第1種住居地域
-
地目
宅地 (現状:宅地)
-
都市計画
-
-
形状
間口 20m × 奥行 11m
-
道路
東側 私道 幅員約2.5m
-
私道
前面道路私道
-
その他の制限
建物再建築の場合は43条但し書き許可が必要です。
物件詳細情報
-
所在階/階数
-
-
号室
-
-
販売価格
2,500,000円
-
方位
-
-
間取り
-
-
専有面積
-
-
バルコニー面積
-
-
その他面積
-
-
駐車場
-
-
管理費
-
-
修繕積立金
-
-
現況
-
仲介手数料
330,000円
-
利用制限
-
-
学校区
東小千谷小学校(532m)・東小千谷中学校(652m)
-
設備
整形地、更地、学校近く、スーパー近く、建築条件なし、所有権、即引き渡し可、側溝、都市ガス(前面道路)、電気、都市ガス(宅地内)、上水道(宅地内)、下水道(宅地内)、前面道路融雪設備あり、住宅向け
-
取引態様
専任
-
情報登録日
2025/07/07
-
次回更新予定日
2026/04/16
-
取引条件有効期限
2023/02/18
備考
宅地面積:237.05㎡(71.70坪)
建物再建築の場合は43条但し書き許可が必要です。
取扱い会社
株式会社 長岡総合開発
Copyright (C) 株式会社 コモンライフ・コーポレーション. All Rights Reserved.
不動産検索サイト「らくすむ」及び関連サイトに記載の不動産情報は、会員規約に則り、情報提供会社様の責任のもとに発信されております。
不動産の賃借、購入に関しては賃借者、購入者ご自身が情報を確認され、会社企業様から説明を受けられたうえで判断をお願いいたします。
不動産検索サイト「らくすむ」及び関連サイトに記載の不動産情報、写真、デザイン、コンテンツなどの無断転載・転用・複製など禁止します。