
宝3丁目北西角地 詳細
お気に入り
追加済み
物件画像を詳しく見る

目の前の中瀬橋を渡れば「エコトピア寿」に直通。お風呂とプールが楽しめます。!!
物件概要
-
物件コード
00008-200258
-
物件名
宝3丁目北西角地
-
交通
バス:宝3丁目から徒歩6分
-
所在地
長岡市宝3丁目4-14
物件へのルート表示
-
物件種別
売土地・分譲地
-
物件区分
売土地
-
構造
-
-
階建
-
-
建ぺい率/容積率
70%/200%
-
建物面積
-
-
土地面積
204㎡
/61.71坪
-
築年月
-
-
入居時期
相談
-
用途地域
準工業地域
-
地目
宅地 (現状:建付地)
-
都市計画
市街化区域
-
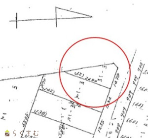
形状
間口 11.08m × 奥行 26.83m
-
道路
北側12m消雪道路、西側6m消雪道路
-
私道
-
-
その他の制限
-
物件詳細情報
-
所在階/階数
-
-
号室
-
-
販売価格
6,500,000円
-
方位
-
-
間取り
-
-
専有面積
-
-
バルコニー面積
-
-
その他面積
-
-
駐車場
-
-
管理費
-
-
修繕積立金
-
-
現況
空家
-
仲介手数料
330,000円
-
利用制限
-
-
学校区
黒条小学校(1,435m)・堤岡中学校(1,468m)
-
設備
角地、前道6m以上、更地、閑静な住宅街、建築条件なし、所有権、電気、都市ガス(宅地内)、上水道(宅地内)、下水道(宅地内)、前面道路融雪設備あり、住宅向け
-
取引態様
一般
-
情報登録日
2025/04/18
-
次回更新予定日
2025/12/30
-
取引条件有効期限
2025/07/31
備考
★建物解体更地渡し
★消雪組合費負担有り(年額12,000円)
取扱い会社
株式会社 島岡不動産企画
Copyright (C) 株式会社 コモンライフ・コーポレーション. All Rights Reserved.
不動産検索サイト「らくすむ」及び関連サイトに記載の不動産情報は、会員規約に則り、情報提供会社様の責任のもとに発信されております。
不動産の賃借、購入に関しては賃借者、購入者ご自身が情報を確認され、会社企業様から説明を受けられたうえで判断をお願いいたします。
不動産検索サイト「らくすむ」及び関連サイトに記載の不動産情報、写真、デザイン、コンテンツなどの無断転載・転用・複製など禁止します。