駅前公園近く
| 物件名/所在地 | 詳細 | 価格 |
|---|---|---|
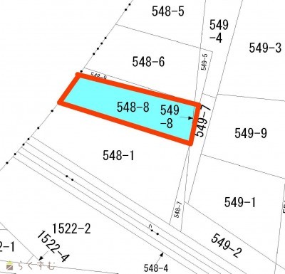
| 豊町売土地
新潟県柏崎市豊町字笠原548-8 549-8 |
|
7,110,000円 |
| 物件コード | 00037-200082 | ||
|---|---|---|---|
| 物件名 | 豊町売土地 | ||
| 交通 | 駅:越後線 東柏崎駅から徒歩15分、バス:柏崎営業所から徒歩4分 | ||
| 物件所在地 | 新潟県柏崎市豊町字笠原548-8 549-8 | ||
| 物件種別 | 売土地・分譲地 | ||
| 物件区分 | 売土地 | ||
| 構造 | - | 階建 | - |
| 建ぺい率/容積率 | 60%/200% | ||
| 建物面積 | - | ||
| 土地面積 | 213.41㎡ /64.55坪 | ||
| 築年月 | - | ||
| 入居(引き渡し)時期 | 指定なし | ||
| 用途地域 | 工業地域 | 地目 | その他 (現状:更地) |
| 都市計画 | 区域内 | 学校区 | 比角小学校・第二中学校 |
| 形状 | - | 道路 | 東側私道4mに11m接面 |
| 私道 | 前面道路に私道持分なし | その他の制限 | - |
| 所在階/階数 | - | 号室 | - |
|---|---|---|---|
| 販売価格 | 7,110,000円 | 方位 | - |
| 間取り | - | ||
| 専有面積 | - | バルコニー面積 | - |
| その他面積 | - | 駐車場 | - |
| 管理費 | - | 修繕積立金 | - |
| 現況 | 更地 | ||
| 仲介手数料 | 300,630円 | ||
| 利用制限 | - | ||
| 設備 | 建築条件なし、所有権、都市ガス(前面道路)、上水道(前面道路)、下水道(前面道路) | ||
| 取引態様 | 一般 | ||
| 備考 | - | ||
| 取り扱い会社 |
株式会社 ai-will 新潟県柏崎市田中10-31 |
||
| 情報登録日 | 2022/12/07 | 次回更新予定日 | 2026/01/04 |
| 取引条件有効期限 | - | ||
|
ローソン 柏崎錦町店(コンビニ)まで490m ファミリーマート 柏崎扇町店(コンビニ)まで500m セブン-イレブン 柏崎錦町店(コンビニ)まで630m ウオロク 柏崎店(スーパー)まで820m 原信 岩上店(スーパー)まで1150m |
ウエルシア柏崎錦町店 (調剤薬局)(ドラッグストア)まで610m あらき眼科(病院)まで540m 扇町皮膚科医院(病院)まで620m 本間内科医院(病院)まで970m 柏崎東本町郵便局(郵便局)まで890m |
※カメラのアイコンがある場合は、マウスをポイントするとその施設の画像がご覧いただけます。
| TEL: | 0257-35-5370 | |
|---|---|---|
| 所在地: | 新潟県柏崎市田中10-31 | |
| 交通: | 国道8号線よりすぐ | |
| 営業時間: | 平日9:00~18:00土日祝10:00~16:0/定休日:当社規定 (お盆・年末年始・GW) | |
| 免許番号: | 新潟県知事(4)4821号 | |
| 所属団体名: | 新潟県宅地建物取引協会 柏崎支部 | |
| 取引態様: | 一般 | |
| ホームページ: | http://www.ai-will.co.jp/ | |