| 物件コード | 00037-200082 | ||
|---|---|---|---|
| 物件名 | 豊町売土地 | ||
| 交通 | 駅:越後線 東柏崎駅から徒歩15分、バス:柏崎営業所から徒歩4分 | ||
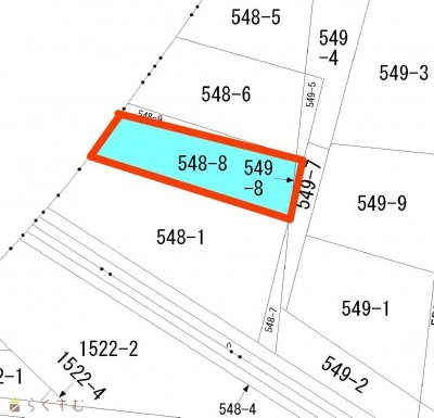
| 物件所在地 | 新潟県柏崎市豊町字笠原548-8 549-8 | ||
| 物件種別 | 売土地・分譲地 | ||
| 物件区分 | 売土地 | ||
| 構造 | - | 階建 | - |
| 建ぺい率/容積率 | 60%/200% | ||
| 建物面積 | - | ||
| 土地面積 | 213.41㎡ /64.55坪 | ||
| 築年月 | - | ||
| 入居時期 | 随時入居(引き渡し)可 | ||
| 用途地域 | 工業地域 | 地目 | その他 (現状:更地) |
| 都市計画 | - | 学校区 | 比角小学校(533m)・第二中学校(892m) |
| 形状 | - | 道路 | 東側私道4mに11m接面 |
| 私道 | 前面道路に私道持分なし | ||
| 所在階/階数 | - | 号室 | - |
|---|---|---|---|
| 販売価格 | 7,110,000円 | 方位 | - |
| 間取り | - | ||
| 専有面積 | - | バルコニー面積 | - |
| その他面積 | - | 駐車場 | - |
| 管理費 | - | 修繕積立金 | - |
| 現況 | 更地 | ||
| 仲介手数料 | 330,000円 | ||
| 利用制限 | - | ||
| 設備 | 建築条件なし、所有権、都市ガス(前面道路)、上水道(前面道路)、下水道(前面道路) | ||
| 取引態様 | 一般 | ||
| 備考 | - | ||
| 情報登録日 | 2026/01/27 | 次回更新予定日 | 2026/05/14 |
| 取引条件有効期限 | 2026/12/31 | ||
|
|
|
|
|
|
| TEL: | 0257-35-5370 |
|---|---|
| 所在地: | 新潟県柏崎市田中10-31 |
| 交通: | 国道8号線よりすぐ |
| 営業時間: | 平日9:00~18:00土日祝10:00~16:0/定休日:当社規定 (お盆・年末年始・GW) |
| 免許番号: | 新潟県知事(4)4821号 |
| 所属団体名: | 新潟県宅地建物取引協会 柏崎支部 |
| 取引態様: | 一般 |