0
松美2丁目42.9坪売土地 詳細
外観
全体図
間取り
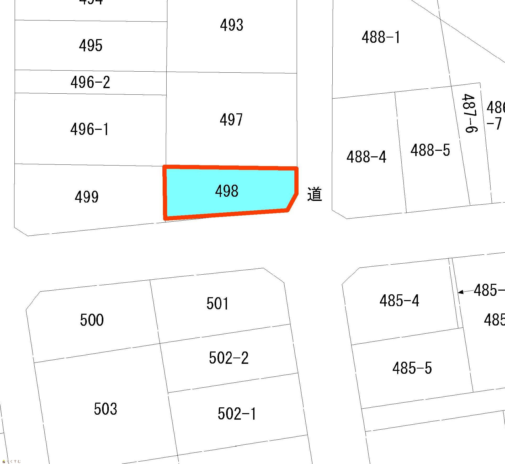
公正図
その他の画像
1
2
地図
物件詳細へ戻る
協会の概要
|
プライバシーポリシー
|
PC版
Copyright(C)柏崎不動産業協会.
All Rights Reserved.