0
柳橋町22.6坪 駐車場、倉庫用地に☆ 詳細
外観
外観
間取り
間取り
その他の画像
外観
外観
前面道路
前面道路
前面道路
前面道路
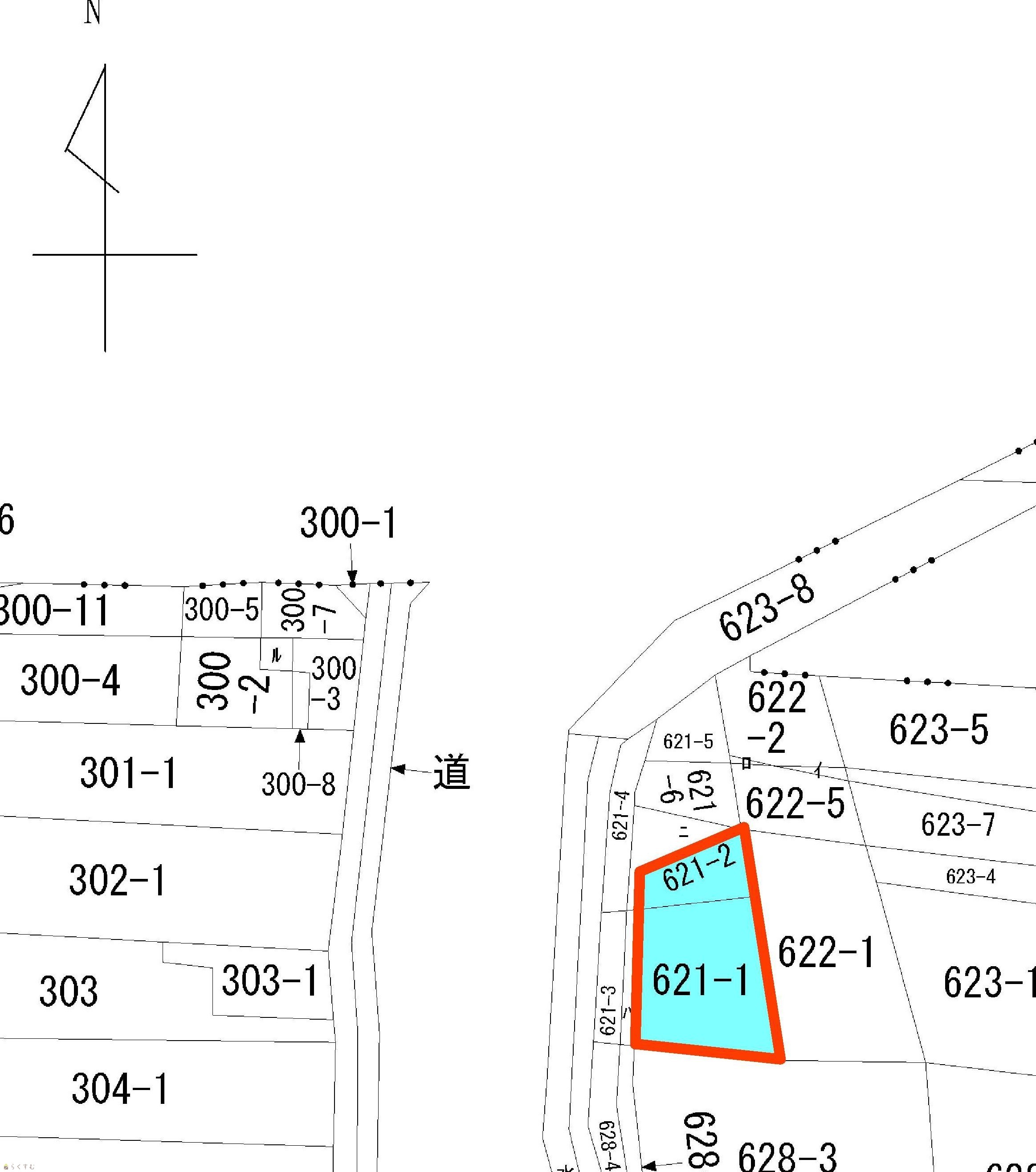
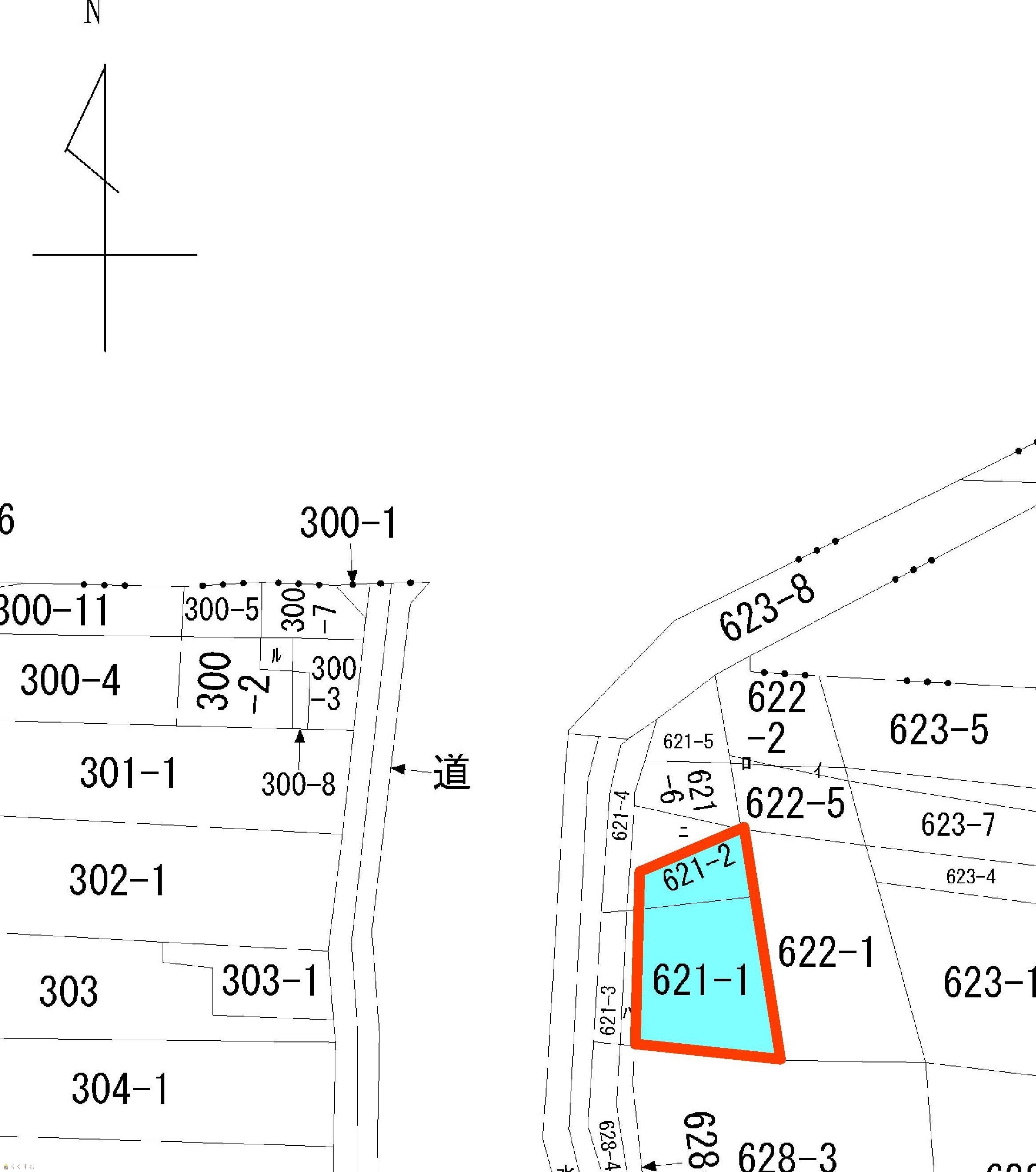
印刷用地図
物件詳細へ戻る
協会の概要
|
プライバシーポリシー
|
PC版
Copyright(C)柏崎不動産業協会.
All Rights Reserved.