0
北園町分譲地⑧ 詳細
お気に入り
追加済み
外観①
計画図
外観②
外観③
外観④
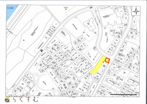
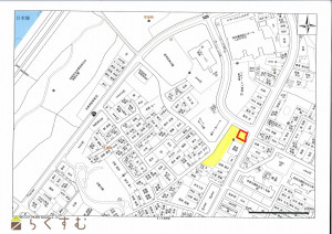
地図
物件画像を詳しく見る
北園町に全8区画分譲地!建築条件無し!仲介料無し!
物件概要
価格
5,900,000 円
広さ
219.47㎡ /66.38坪
住所
新潟県柏崎市北園町
物件へのルート表示
自然豊かな暮らしを。
物件コード
00292-200028
物件名
北園町分譲地⑧
交通
駅:越後線 東柏崎駅から徒歩15分、バス:ソルトスパ潮風から徒歩2分
所在地
新潟県柏崎市北園町
物件へのルート表示
物件種別
売土地・分譲地
物件区分
売土地
構造
-
階建
-
建ぺい率/容積率
70%/200%
建物面積
-
土地面積
219.47㎡ /66.38坪
築年月
-
入居時期
随時入居(引き渡し)可
用途地域
第1種中高層住居専用地域
地目
宅地 (現状:宅地)
都市計画
非線引き都市計画区域
形状
間口 15m × 奥行 15m
道路
北東:公道11m(幅員)南東:公道12m(幅員)
私道
-
その他の制限
建築基準法第22条区域
メール問合せ
電話問合せ:0257-22-0851
物件詳細情報
所在階/階数
-
号室
-
販売価格
5,900,000円
方位
-
間取り
-
専有面積
-
バルコニー面積
-
その他面積
-
駐車場
-
管理費
-
修繕積立金
-
現況
更地
仲介手数料
なし
おすすめ条件
-
学校区
柏崎小学校(1,148m)・第一中学校(889m)
設備
角地、整形地、前道6m以上、更地、閑静な住宅街、建築条件なし、所有権、側溝、電気、都市ガス(宅地内)、上水道(宅地内)、下水道(宅地内)、住宅向け
取引態様
売主
情報登録日
2026/03/03
次回更新予定日
2026/06/14
取引条件有効期限
2025/09/30
メール問合せ
電話問合せ:0257-22-0851
備考
取扱い会社
有限会社ひまわりネットワーク
TEL
0257-22-0851
所在地
新潟県柏崎市宮場町9番23号
交通
柏﨑駅南口から約950m(約12分)
営業時間
平日9:00~17:00(土12:00まで)/定休日:日曜・祝日
免許番号
新潟県知事(6)第4167号
所属団体名
(公社)新潟県宅地建物取引業協会 (一社)全国賃貸不動産管理業協会(全宅管理)
取引態様
売主
メール問合せ
電話問合せ:0257-22-0851
メールでお問い合わせ
電話でお問い合わせ
0257-22-0851
協会の概要
|
プライバシーポリシー
|
PC版
Copyright(C)柏崎不動産業協会.
All Rights Reserved.