
三島町売土地 詳細
お気に入り
追加済み
物件画像を詳しく見る
物件概要
-
物件コード
00037-200031
-
物件名
三島町売土地
-
交通
駅:柏崎から徒歩22分、バス:剣野町から徒歩3分
-
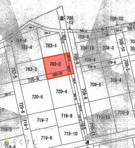
所在地
新潟県柏崎市三島町720-10他3筆
物件へのルート表示
-
物件種別
売土地・分譲地
-
物件区分
売土地
-
構造
-
-
階建
-
-
建ぺい率/容積率
50%/100%
-
建物面積
-
-
土地面積
171.84㎡
/51.98坪
-
築年月
-
-
入居時期
随時入居(引き渡し)可
-
用途地域
第1種低層住居専用地域
-
地目
宅地 (現状:宅地)
-
都市計画
非線引き都市計画区域
-
形状
間口 11m × 奥行 14m
-
道路
市道
-
私道
-
-
その他の制限
-
物件詳細情報
-
所在階/階数
-
-
号室
-
-
販売価格
2,000,000円
-
方位
-
-
間取り
-
-
専有面積
-
-
バルコニー面積
-
-
その他面積
-
-
駐車場
-
-
管理費
-
-
修繕積立金
-
-
現況
更地
-
仲介手数料
330,000円
-
おすすめ条件
-
-
学校区
剣野小学校(457m)・第三中学校(1,153m)
-
設備
更地、建築条件なし、所有権、都市ガス(宅地内)、上水道(宅地内)、下水道(宅地内)
-
取引態様
一般
-
情報登録日
2026/01/27
-
次回更新予定日
2026/06/14
-
取引条件有効期限
2026/12/31
備考
取扱い会社
株式会社 ai-will
-
TEL
0257-35-5370
-
所在地
新潟県柏崎市田中10-31
-
交通
国道8号線よりすぐ
-
営業時間
平日9:00~18:00土日祝10:00~16:0/定休日:当社規定 (お盆・年末年始・GW)
-
免許番号
新潟県知事(4)4821号
-
所属団体名
新潟県宅地建物取引協会 柏崎支部
-
取引態様
一般
Copyright(C)柏崎不動産業協会.
All Rights Reserved.