| 商業施設等への車でのアクセス性も良好。 | |||
| 物件コード | 00322-200041 | ||
|---|---|---|---|
| 物件名 | 【希望が丘1丁目】売土地(更地渡し) | ||
| 交通 | 駅:上越新幹線 長岡駅から徒歩51分、バス:西中学校前から徒歩2分 | ||
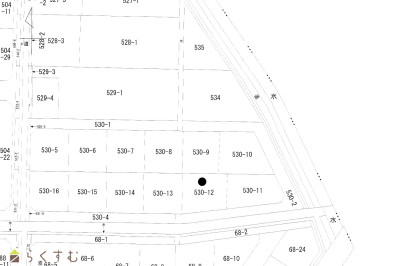
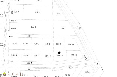
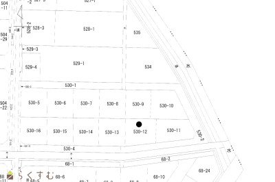
| 物件所在地 | 新潟県長岡市希望が丘1丁目530番地12 | ||
| 物件種別 | 売土地・分譲地 | ||
| 物件区分 | 売土地 | ||
| 構造 | - | 階建 | - |
| 建ぺい率/容積率 | 50%/80% | ||
| 建物面積 | - | ||
| 土地面積 | 231.97㎡ /70.17坪 | ||
| 築年月 | - | ||
| 入居時期 | 相談 | ||
| 用途地域 | 第1種低層住居専用地域 | 地目 | 宅地 |
| 都市計画 | 市街化区域 | 学校区 | 希望が丘小学校(331m)・西中学校(230m) |
| 形状 | 間口 15.5m × 奥行 12.5m | 道路 | 長岡市道西幹線34号線 幅員7.0m |
| 私道 | - | ||
| 所在階/階数 | - | 号室 | - |
|---|---|---|---|
| 販売価格 | 12,900,000円 | 方位 | - |
| 間取り | - | ||
| 専有面積 | - | バルコニー面積 | - |
| その他面積 | - | 駐車場 | - |
| 管理費 | - | 修繕積立金 | - |
| 現況 | 古家あり更地引渡可 | ||
| 仲介手数料 | 491,700円 | ||
| 利用制限 | - | ||
| 設備 | 前道6m以上、南側道路面す、学校近く、建築条件なし、所有権、都市ガス(宅地内)、上水道(宅地内)、下水道(宅地内)、住宅向け | ||
| 取引態様 | 仲介 | ||
| 備考 | - | ||
| 情報登録日 | 2026/01/07 | 次回更新予定日 | 2026/02/13 |
| 取引条件有効期限 | 2026/03/31 | ||
|
|
|
|
|
|
| TEL: | 0258-94-4545 |
|---|---|
| 所在地: | 新潟県長岡市福住2-1-24高野ビル1階 |
| 交通: | 長岡駅 |
| 営業時間: | 9:00~18:00/定休日:土・日・祝 |
| 免許番号: | 新潟県知事(1)第5634号 |
| 所属団体名: | 公社 新潟県宅地建物取引協会 長岡支部 |
| 取引態様: | 仲介 |