| 物件コード | 00068-200104 | ||
|---|---|---|---|
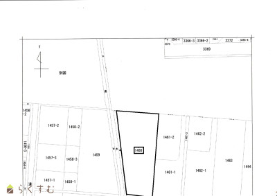
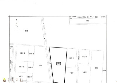
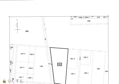
| 物件名 | 下条町 売土地 360坪 | ||
| 交通 | 駅:上越線 宮内駅から徒歩26分、バス:NTT前から徒歩2分 | ||
| 物件所在地 | 新潟県長岡市下条町1460 | ||
| 物件種別 | 売土地・分譲地 | ||
| 物件区分 | 売土地 | ||
| 構造 | - | 階建 | - |
| 建ぺい率/容積率 | 70%/200% | ||
| 建物面積 | - | ||
| 土地面積 | 1,193㎡ /360.88坪 | ||
| 築年月 | - | ||
| 入居時期 | 相談 | ||
| 用途地域 | 用途の指定のない地域 | 地目 | 田 (現状:更地) |
| 都市計画 | 市街化調整区域 | 学校区 | 上組小学校(218m)・宮内中学校(1,802m) |
| 形状 | 間口 27m × 奥行 53m | 道路 | 長岡市道 |
| 私道 | - | ||
| 所在階/階数 | - | 号室 | - |
|---|---|---|---|
| 販売価格 | 16,200,000円 | 方位 | - |
| 間取り | - | ||
| 専有面積 | - | バルコニー面積 | - |
| その他面積 | - | 駐車場 | - |
| 管理費 | - | 修繕積立金 | - |
| 現況 | 賃貸中 | ||
| 仲介手数料 | 600,600円 | ||
| 利用制限 | - | ||
| 設備 | 都市ガス(前面道路)、上水道(前面道路)、下水道(前面道路)、上水道(宅地内) | ||
| 取引態様 | 一般 | ||
| 備考 | 条例第2条第2号前段区域 | ||
| 情報登録日 | 2025/11/19 | 次回更新予定日 | 2026/05/15 |
| 取引条件有効期限 | 2026/03/31 | ||
|
|
|
|
| TEL: | 0258-33-6656 |
|---|---|
| 所在地: | 新潟県長岡市新町3丁目3番19号 |
| 交通: | 北長岡駅 |
| 営業時間: | 8:30~18:00/定休日:日曜日、祝祭日 |
| 免許番号: | 新潟県知事(5)第4667号 |
| 所属団体名: | 新潟県宅地建物取引業協会 長岡支部 |
| 取引態様: | 一般 |