| コンビニまで徒歩約2分130mの好立地! | |||
| 物件コード | 00041-200842 | ||
|---|---|---|---|
| 物件名 | 川崎2丁目 売土地 | ||
| 交通 | 駅:信越線 長岡駅から徒歩18分、バス:川崎入口から徒歩4分 | ||
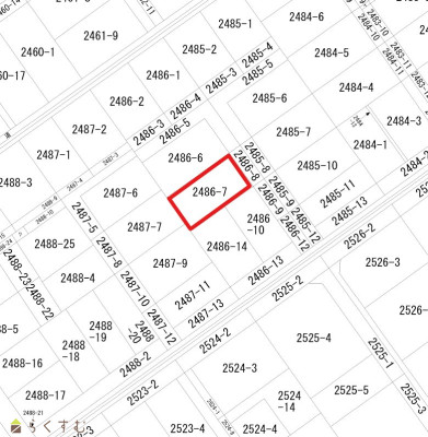
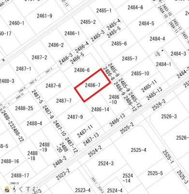
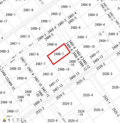
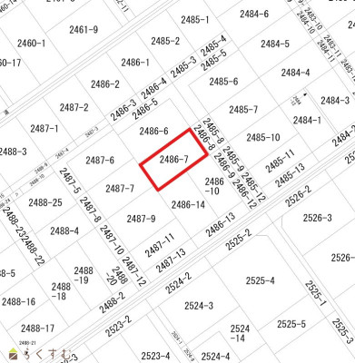
| 物件所在地 | 新潟県長岡市川崎2丁目2486-7 | ||
| 物件種別 | 売土地・分譲地 | ||
| 物件区分 | 売土地 | ||
| 構造 | - | 階建 | - |
| 建ぺい率/容積率 | 60%/200% | ||
| 建物面積 | - | ||
| 土地面積 | 134.38㎡ /40.64坪 | ||
| 築年月 | - | ||
| 入居時期 | 相談 | ||
| 用途地域 | 第2種中高層住居専用地域 | 地目 | 宅地 (現状:宅地) |
| 都市計画 | 市街化区域 | 学校区 | 川崎小学校(425m)・東北中学校(664m) |
| 形状 | 間口 8.55m | 道路 | 私道 幅員約6m |
| 私道 | 私道 幅員約6m | ||
| 所在階/階数 | - | 号室 | - |
|---|---|---|---|
| 販売価格 | 8,100,000円 | 方位 | - |
| 間取り | - | ||
| 専有面積 | - | バルコニー面積 | - |
| その他面積 | - | 駐車場 | - |
| 管理費 | - | 修繕積立金 | - |
| 現況 | - | ||
| 仲介手数料 | 333,300円 | ||
| 利用制限 | - | ||
| 設備 | 閑静な住宅街、建築条件なし、都市ガス(前面道路)、住宅向け | ||
| 取引態様 | 専任 | ||
| 備考 | - | ||
| 情報登録日 | 2023/10/14 | 次回更新予定日 | 2026/05/15 |
| 取引条件有効期限 | 2024/01/14 | ||
|
|
|
|
| TEL: | 0258-33-7711 |
|---|---|
| 所在地: | 新潟県長岡市柏町1丁目4-33 |
| 交通: | 長岡駅 |
| 営業時間: | 9:00~17:30/定休日:土曜日・日曜日・祝日・お盆・年末年始 |
| 免許番号: | 新潟県知事(1)第5568号 |
| 所属団体名: | (公社)新潟県宅地建物取引業協会,(公社)首都圏不動産公正取引協議会,(公財)日本賃貸住宅管理協会 |
| 取引態様: | 専任 |