| 物件コード | 00008-200223 | ||
|---|---|---|---|
| 物件名 | 城岡3丁目 売土地 | ||
| 交通 | バス:OM製作所前から徒歩8分 | ||
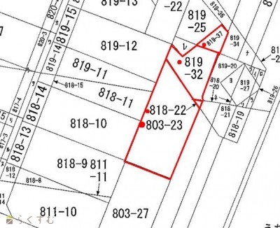
| 物件所在地 | 長岡市城岡3丁目803-23 外3筆 (土地地番) | ||
| 物件種別 | 売土地・分譲地 | ||
| 物件区分 | 売土地 | ||
| 構造 | - | 階建 | - |
| 建ぺい率/容積率 | 60%/200% | ||
| 建物面積 | - | ||
| 土地面積 | 245.66㎡ /74.31坪 | ||
| 築年月 | - | ||
| 入居時期 | 随時入居(引き渡し)可 | ||
| 用途地域 | 準工業地域 | 地目 | 雑種地 (現状:宅地) |
| 都市計画 | 市街化区域 | 学校区 | 新町小学校(1,702m)・北中学校(852m) |
| 形状 | 間口 30m × 奥行 9.5m | 道路 | 東側長岡市道 6.6m |
| 私道 | - | ||
| 所在階/階数 | - | 号室 | - |
|---|---|---|---|
| 販売価格 | 5,000,000円 | 方位 | - |
| 間取り | - | ||
| 専有面積 | - | バルコニー面積 | - |
| その他面積 | - | 駐車場 | - |
| 管理費 | - | 修繕積立金 | - |
| 現況 | - | ||
| 仲介手数料 | 330,000円 | ||
| 利用制限 | - | ||
| 設備 | 前道6m以上、建築条件なし、所有権、側溝、上水道(前面道路)、下水道(前面道路)、電気 | ||
| 取引態様 | 一般 | ||
| 備考 | ■上水道(要本管延長)、下水道(要本管延長) | ||
| 情報登録日 | 2025/07/11 | 次回更新予定日 | 2026/05/14 |
| 取引条件有効期限 | 2025/03/31 | ||
|
|
|
|
|
|
| TEL: | 0258-39-6030 |
|---|---|
| 所在地: | 新潟県長岡市西新町1-8-11 |
| 交通: | 「新町小学校前」バス停徒歩1分 |
| 営業時間: | 9:00~18:30/定休日:日曜・祭日 |
| 免許番号: | 新潟県知事(4)4829号 |
| 所属団体名: | 公益社団法人 新潟県宅地建物取引業協会 |
| 取引態様: | 一般 |