| 長岡市西津町、長岡西病院近くの好立地。近隣でスーパーロピアがオープン準備中、左岸バイパスへもアクセス良好です。北東角地で開放感があり、建物は取り壊し後の更地渡し、建築条件はありません。 | |||
| 物件コード | 00006-200264 | ||
|---|---|---|---|
| 物件名 | 【売土地】西津町(更地渡し) | ||
| 交通 | 駅:上越新幹線 長岡駅から徒歩49分、バス:長岡西病院前から徒歩4分 | ||
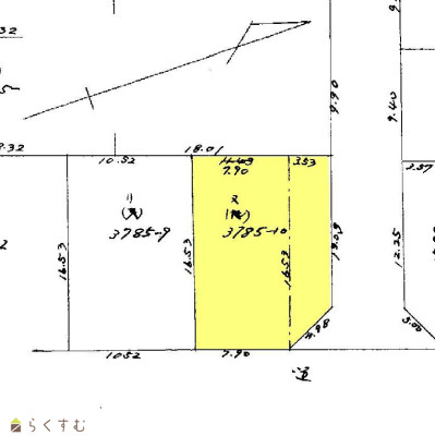
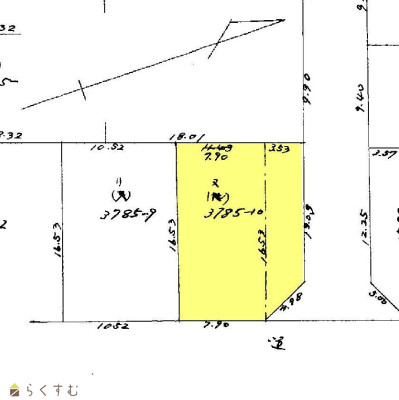
| 物件所在地 | 新潟県長岡市西津町3785番10 | ||
| 物件種別 | 売土地・分譲地 | ||
| 物件区分 | 売土地 | ||
| 構造 | - | 階建 | - |
| 建ぺい率/容積率 | 70%/200% | ||
| 建物面積 | - | ||
| 土地面積 | 182.76㎡ /55.28坪 | ||
| 築年月 | - | ||
| 入居時期 | 相談 | ||
| 用途地域 | 第1種中高層住居専用地域 | 地目 | 宅地 (現状:宅地) |
| 都市計画 | 市街化区域 | 学校区 | 大島小学校(813m)・大島中学校(330m) |
| 形状 | 間口 11.4m × 奥行 16.5m | 道路 | 公道 北東角地 幅員5.8/11.4 |
| 私道 | - | ||
| 所在階/階数 | - | 号室 | - |
|---|---|---|---|
| 販売価格 | 13,000,000円 | 方位 | - |
| 間取り | - | ||
| 専有面積 | - | バルコニー面積 | - |
| その他面積 | - | 駐車場 | - |
| 管理費 | - | 修繕積立金 | - |
| 現況 | 古家あり更地引渡可 | ||
| 仲介手数料 | 495,000円 | ||
| 利用制限 | - | ||
| 設備 | 角地、整形地、スーパー近く、建築条件なし、所有権、側溝、都市ガス(宅地内)、上水道(宅地内)、下水道(宅地内)、前面道路融雪設備あり、住宅向け | ||
| 取引態様 | 一般 | ||
| 備考 | 町内費、消雪組合費調査中 | ||
| 情報登録日 | 2026/01/11 | 次回更新予定日 | 2026/02/13 |
| 取引条件有効期限 | 2026/01/31 | ||
|
|
|
|
|
|
| TEL: | 0258-33-4844 |
|---|---|
| 所在地: | 新潟県長岡市東坂之上町3-4-8 |
| 交通: | 長岡駅大手口より徒歩約10分 |
| 営業時間: | 8:30~18:30/定休日:水曜日・祝祭日(他 GW、夏季休暇、年末年始等) |
| 免許番号: | 新潟県知事(9)3247号 |
| 所属団体名: | 全国宅地建物取引業協会 長岡支部 |
| 取引態様: | 一般 |