新潟県柏崎市春日2丁目8番2号 売土地・分譲地 500,000円の物件情報

スーパー徒歩約7分

物件名/所在地 詳細 価格
柏崎市 春日2丁目 土地
新潟県柏崎市春日2丁目8番2号
  • 土地面積
    :195㎡ /58.98坪
  • 坪単価
    :8,477円/坪
  • 建ぺい率
    :60%
  • 容積率
    :200%
500,000
  • 柏崎市 春日2丁目 土地
    株式会社裕建
  • この物件を問い合わせる/無料
  • TEL: 0257-30-8925 0257-30-8925

物件画像

外観
間取り
物件画像
※画像クリックで拡大表示
外観
物件画像
※画像クリックで拡大表示
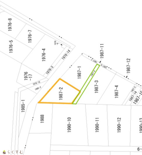
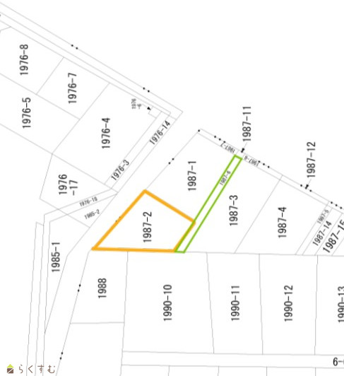
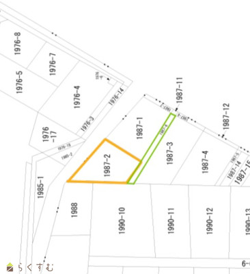
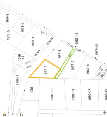
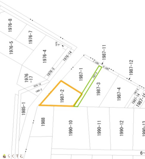
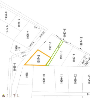
区画図
詳細画像
物件画像
外観
物件画像
外観
物件画像
外観
物件画像
外観
物件画像
前面土地
物件画像
ガス水道
物件画像
境界杭
物件画像
地図画像


物件概要

医院、郵便局が近くにあります。
物件コード 00350-200055
物件名 柏崎市 春日2丁目 土地
交通 駅:越後線 東柏崎駅から徒歩20分、バス:春日2丁目から徒歩3分
物件所在地 新潟県柏崎市春日2丁目8番2号
物件種別 売土地・分譲地
物件区分 売土地
構造 - 階建 -
建ぺい率/容積率 60%/200%
建物面積 -
土地面積 195㎡ /58.98坪
築年月 -
入居(引き渡し)時期 相談
用途地域 第1種低層住居専用地域 地目 山林  (現状:宅地)
都市計画 非線引き都市計画区域 学校区 槇原小学校(900m)・瑞穂中学校(900m)
形状 間口 9.5m 道路 前面土地(南側)を道路として申請が必要です。
私道 - その他の制限 道路斜線制限・隣地斜線制限・日影規制
  • 柏崎市 春日2丁目 土地
    株式会社裕建
  • この物件を問い合わせる/無料
  • TEL: 0257-30-8925 0257-30-8925

物件詳細情報

所在階/階数 - 号室 -
販売価格 500,000円 方位 -
間取り -
専有面積 - バルコニー面積 -
その他面積 - 駐車場 -
管理費 - 修繕積立金 -
現況 更地
仲介手数料 330,000円
利用制限 -
設備 スーパー近く、所有権、都市ガス(前面道路)、上水道(前面道路)、下水道(前面道路)、電気、都市ガス(宅地内)、上水道(宅地内)、下水道(宅地内)、住宅向け、田舎暮らし
取引態様 一般
備考 -
取り扱い会社

株式会社裕建

新潟県柏崎市北斗町4番46号

情報登録日 2025/06/27 次回更新予定日 2026/02/28
取引条件有効期限 2025/12/31
  • 柏崎市 春日2丁目 土地
    株式会社裕建
  • この物件を問い合わせる/無料
  • TEL: 0257-30-8925 0257-30-8925

この物件の地図・周辺情報・行政情報

この物件の周辺情報・行政情報を詳しく見る
【周辺情報】
物件の近くにあるコンビニや銀行・学校など、アイコン付のマップで詳しく表示できます!
【行政情報】
水道料や下水道料・ガス料金など、暮らしに関係のある情報を表示しています。
ローソン 柏崎藤元町店(コンビニ)まで830m
ALPHAS薬局 春日店(ドラッグストア)まで630m
稲田医院(病院)まで590m
セブン銀行ATM(銀行)まで470m
柏崎春日郵便局(郵便局)まで220m

※カメラのアイコンがある場合は、マウスをポイントするとその施設の画像がご覧いただけます。


担当取扱い店舗情報

取扱い店舗画像
株式会社裕建
TEL: 0257-30-8925
所在地: 新潟県柏崎市北斗町4番46号
交通: 東柏崎駅 徒歩15分
営業時間: 9:00~18:00/定休日:日曜日
免許番号: 新潟県知事(1)第5755号
所属団体名: 公社 新潟県宅地建物取引協会 柏崎支部
取引態様: 一般
ホームページ: https://kashi-yuken.com/