新潟県柏崎市北園町 売土地・分譲地 5,000,000円の物件情報

北園町に全8区画分譲地!建築条件無し!仲介料無し!

物件名/所在地 詳細 価格
北園町分譲地⑤
新潟県柏崎市北園町
  • 土地面積
    :180.03㎡ /54.45坪
  • 坪単価
    :91,827円/坪
  • 建ぺい率
    :60%
  • 容積率
    :200%
5,000,000
  • 北園町分譲地⑤
    有限会社ひまわりネットワーク
  • この物件を問い合わせる/無料
  • TEL: 0257-22-0851 0257-22-0851

物件画像

外観
間取り
物件画像
※画像クリックで拡大表示
外観①
物件画像
※画像クリックで拡大表示
区画図
詳細画像
物件画像
外観②
物件画像
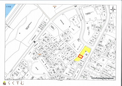
地図


物件概要

自然豊かな暮らしを。
物件コード 00292-200025
物件名 北園町分譲地⑤
交通 駅:越後線 東柏崎駅から徒歩15分、バス:ソルトスパ潮風から徒歩2分
物件所在地 新潟県柏崎市北園町
物件種別 売土地・分譲地
物件区分 売土地
構造 - 階建 -
建ぺい率/容積率 60%/200%
建物面積 -
土地面積 180.03㎡ /54.45坪
築年月 -
入居(引き渡し)時期 随時入居(引き渡し)可
用途地域 第1種中高層住居専用地域 地目 宅地  (現状:宅地)
都市計画 非線引き都市計画区域 学校区 柏崎小学校(1,148m)・第一中学校(889m)
形状 間口 10.93m × 奥行 16.24m 道路 北西:公道7m(幅員)
私道 - その他の制限 建築基準法第22条区域
  • 北園町分譲地⑤
    有限会社ひまわりネットワーク
  • この物件を問い合わせる/無料
  • TEL: 0257-22-0851 0257-22-0851

物件詳細情報

所在階/階数 - 号室 -
販売価格 5,000,000円 方位 -
間取り -
専有面積 - バルコニー面積 -
その他面積 - 駐車場 -
管理費 - 修繕積立金 -
現況 更地
仲介手数料 なし
利用制限 -
設備 整形地、前道6m以上、更地、閑静な住宅街、建築条件なし、所有権、側溝、電気、都市ガス(宅地内)、上水道(宅地内)、下水道(宅地内)、住宅向け
取引態様 売主
備考 -
取り扱い会社

有限会社ひまわりネットワーク

新潟県柏崎市宮場町9番23号

情報登録日 2026/03/03 次回更新予定日 2026/05/16
取引条件有効期限 2025/09/30
  • 北園町分譲地⑤
    有限会社ひまわりネットワーク
  • この物件を問い合わせる/無料
  • TEL: 0257-22-0851 0257-22-0851

この物件の地図・周辺情報・行政情報

この物件の周辺情報・行政情報を詳しく見る
【周辺情報】
物件の近くにあるコンビニや銀行・学校など、アイコン付のマップで詳しく表示できます!
【行政情報】
水道料や下水道料・ガス料金など、暮らしに関係のある情報を表示しています。

担当取扱い店舗情報

取扱い店舗画像
有限会社ひまわりネットワーク
TEL: 0257-22-0851
所在地: 新潟県柏崎市宮場町9番23号
交通: 柏﨑駅南口から約950m(約12分)
営業時間: 平日9:00~17:00(土12:00まで)/定休日:日曜・祝日
免許番号: 新潟県知事(6)第4167号
所属団体名: (公社)新潟県宅地建物取引業協会 (一社)全国賃貸不動産管理業協会(全宅管理)
取引態様: 売主
ホームページ: https://www.himawari-network.co.jp/