新潟県上越市上中田 売土地・分譲地 129,150,000円の物件情報

工場、事務所建設用地に!準工業地域!インター&新幹線近く好立地な産業団地です。

物件名/所在地 詳細 価格
首都圏から一番近い日本海のまち 上越高田インター産業団地
新潟県上越市上中田
  • 土地面積
    :7,127㎡ /2,155.91坪
  • 坪単価
    :59,905円/坪
  • 建ぺい率
    :60%
  • 容積率
    :200%
129,150,000
  • 首都圏から一番近い日本海のまち 上越高田インター産業団地
    楽栄不動産株式会社
  • この物件を問い合わせる/無料
  • TEL: 0255-72-0003 0255-72-0003

物件画像

外観
間取り
物件画像
※画像クリックで拡大表示
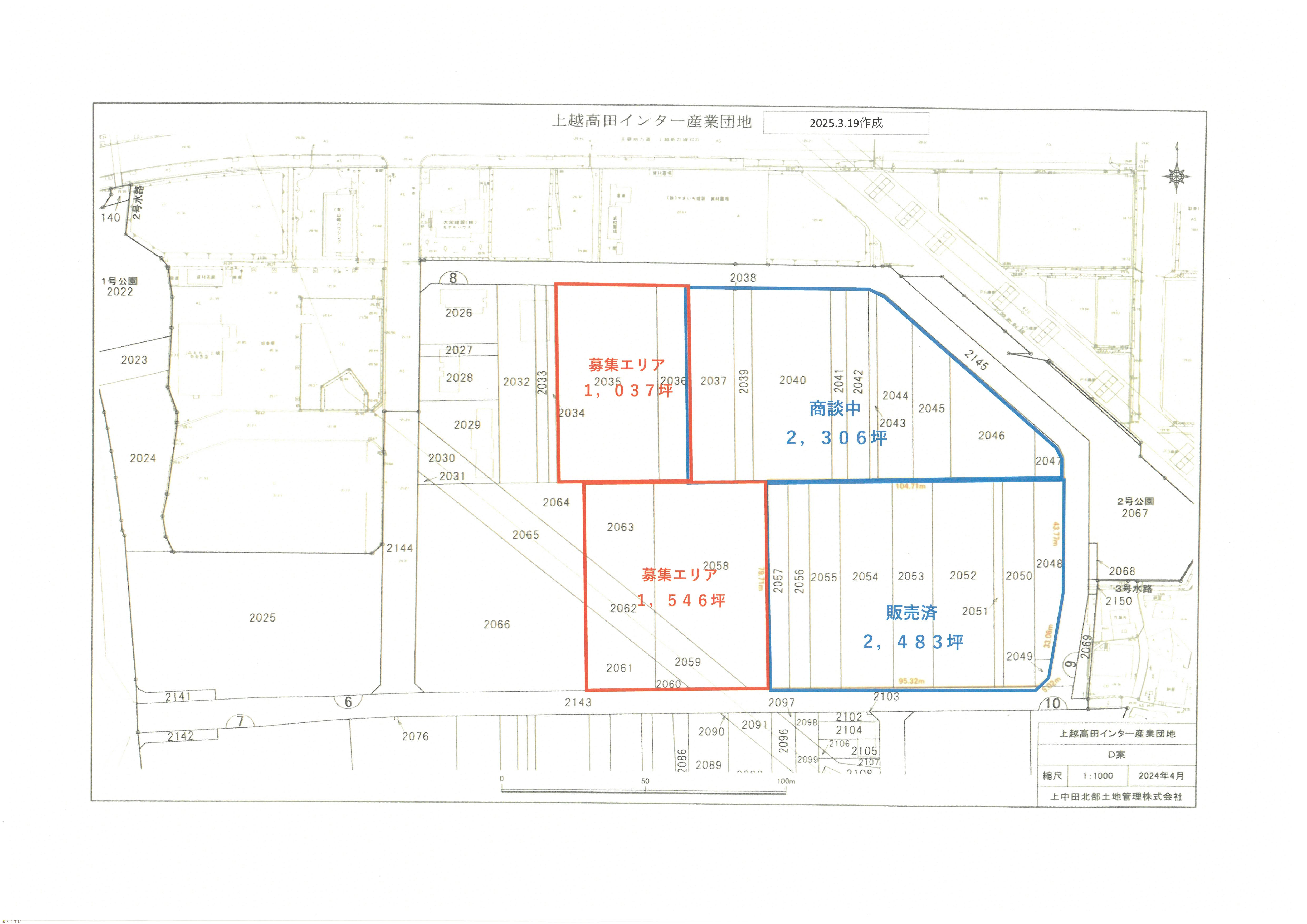
募集区画 土地利用計画図
物件画像
※画像クリックで拡大表示
間取り
詳細画像
物件画像
位置図
物件画像
周辺環境
物件画像
地区計画
物件画像
首都圏から一番近い日本海のまち上越市
物件画像
上越妙高駅(北陸新幹線)
物件画像
上越高田インターチェンジ
物件画像
コメリパワー上越高田インター店
物件画像
ナルス 南高田店
物件画像
ドラッグトップス南高田店
物件画像
ワークマンプラス上越高田店
物件画像
ケンタッキー・フライド・チキン上越高田インター店
物件画像
幸楽苑上越南高田店
物件画像
カネコ・コーポレーション上越高田営業所
物件画像
有限会社丸重(重量物運搬・移動据付工事)
物件画像
ホシザキ北信越
物件画像
地図画像


物件概要

坪単価5万円/分割可能
物件コード 00265-200123
物件名 首都圏から一番近い日本海のまち 上越高田インター産業団地
交通 駅:妙高はねうまライン 上越妙高駅から徒歩24分、バス:中中田から徒歩5分
物件所在地 新潟県上越市上中田
物件種別 売土地・分譲地
物件区分 売土地
構造 - 階建 -
建ぺい率/容積率 60%/200%
建物面積 -
土地面積 7,127㎡ /2,155.91坪
築年月 -
入居(引き渡し)時期 相談
用途地域 準工業地域 地目 畑  (現状:宅地)
都市計画 市街化区域 学校区 黒田小学校(956m)・城西中学校(1,230m)
形状 - 道路 上越市道 幅員9m 除雪道
私道 - その他の制限 地区計画、農地法、景観法、国土法
  • 首都圏から一番近い日本海のまち 上越高田インター産業団地
    楽栄不動産株式会社
  • この物件を問い合わせる/無料
  • TEL: 0255-72-0003 0255-72-0003

物件詳細情報

所在階/階数 - 号室 -
販売価格 129,150,000円 方位 -
間取り -
専有面積 - バルコニー面積 -
その他面積 - 駐車場 -
管理費 - 修繕積立金 -
現況 更地
仲介手数料 4,327,950円
利用制限 -
設備 整形地、前道6m以上、南側道路面す、更地、スーパー近く、分割可能、建築条件なし、所有権、側溝、都市ガス(前面道路)、上水道(前面道路)、下水道(前面道路)、電気、都市ガス(宅地内)、上水道(宅地内)、下水道(宅地内)、事業用向け
取引態様 専任
備考 -
取り扱い会社

楽栄不動産株式会社

新潟県妙高市雪森645-1

情報登録日 2025/08/18 次回更新予定日 2025/12/29
取引条件有効期限 2024/09/30
  • 首都圏から一番近い日本海のまち 上越高田インター産業団地
    楽栄不動産株式会社
  • この物件を問い合わせる/無料
  • TEL: 0255-72-0003 0255-72-0003

この物件の地図・周辺情報・行政情報

この物件の周辺情報・行政情報を詳しく見る
【周辺情報】
物件の近くにあるコンビニや銀行・学校など、アイコン付のマップで詳しく表示できます!
【行政情報】
水道料や下水道料・ガス料金など、暮らしに関係のある情報を表示しています。

担当取扱い店舗情報

取扱い店舗画像
楽栄不動産株式会社
TEL: 0255-72-0003
所在地: 新潟県妙高市雪森645-1
交通: 妙高はねうまライン北井駅
営業時間: 8時~17時/定休日:土・日・祝日、その他夏季・年末年始
免許番号: 新潟県知事(12)第2463号
所属団体名: 公社 新潟県宅地建物取引協会 上越支部
取引態様: 専任
ホームページ: https://rakuei.info/