新潟県柏崎市西港町9番2号 売土地・分譲地 5,500,000円の物件情報

91.61坪(公簿)、みなとまち海浜公園徒歩3分、中央海水浴場まで徒歩6分※分割販売可能(要相談)

物件名/所在地 詳細 価格
柏崎市西港町売土地
新潟県柏崎市西港町9番2号
  • 土地面積
    :302.87㎡ /91.61坪
  • 坪単価
    :60,037円/坪
  • 建ぺい率
    :60%
  • 容積率
    :200%
5,500,000
  • 柏崎市西港町売土地
    株式会社 ホーメックス
  • この物件を問い合わせる/無料
  • TEL: 0257-24-0034 0257-24-0034

物件画像

外観
間取り
物件画像
※画像クリックで拡大表示
外観
物件画像
※画像クリックで拡大表示
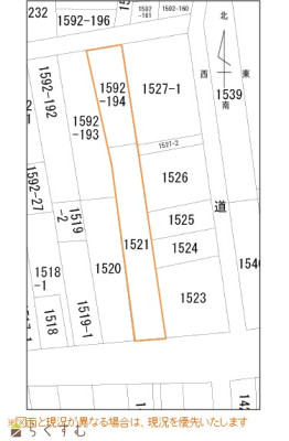
公図
詳細画像
物件画像
地図画像


物件概要

物件コード 00088-200744
物件名 柏崎市西港町売土地
交通 駅:信越線 柏崎駅から徒歩17分、バス:西本町2丁目から徒歩4分
物件所在地 新潟県柏崎市西港町9番2号
物件種別 売土地・分譲地
物件区分 売土地
構造 - 階建 -
建ぺい率/容積率 60%/200%
建物面積 -
土地面積 302.87㎡ /91.61坪
築年月 -
入居(引き渡し)時期 相談
用途地域 第1種住居地域 地目 宅地
都市計画 非線引き都市計画区域 学校区 柏崎小学校(609m)・第一中学校(822m)
形状 - 道路 公道
私道 - その他の制限 準防火地域・居住誘導区域
  • 柏崎市西港町売土地
    株式会社 ホーメックス
  • この物件を問い合わせる/無料
  • TEL: 0257-24-0034 0257-24-0034

物件詳細情報

所在階/階数 - 号室 -
販売価格 5,500,000円 方位 -
間取り -
専有面積 - バルコニー面積 -
その他面積 - 駐車場 -
管理費 - 修繕積立金 -
現況 -
仲介手数料 330,000円
利用制限 -
設備 南側道路面す、更地、学校近く、分割可能、建築条件なし、所有権、即引き渡し可、電気、都市ガス(宅地内)、上水道(宅地内)、下水道(宅地内)、前面道路融雪設備あり、住宅向け
取引態様 専属専任
備考 ・現況有姿での売買となります。
・分割販売可(要相談)
・測量の結果、面積が増減する可能性があります。
・仲介手数料別途
取り扱い会社

株式会社 ホーメックス

新潟県柏崎市土合628-1

情報登録日 2024/11/08 次回更新予定日 2026/05/17
取引条件有効期限 2024/10/22
  • 柏崎市西港町売土地
    株式会社 ホーメックス
  • この物件を問い合わせる/無料
  • TEL: 0257-24-0034 0257-24-0034

この物件の地図・周辺情報・行政情報

この物件の周辺情報・行政情報を詳しく見る
【周辺情報】
物件の近くにあるコンビニや銀行・学校など、アイコン付のマップで詳しく表示できます!
【行政情報】
水道料や下水道料・ガス料金など、暮らしに関係のある情報を表示しています。
セブンイレブン 柏崎西港町店(コンビニ)まで170m
田村医院(病院)まで270m
おぎた小児科医院(病院)まで630m
産科婦人科 山田医院(病院)まで750m
宮尾こどもファミリークリニック(病院)まで780m
恩田クリニック(病院)まで820m
(医)公仁会 柏崎中央病院(病院)まで820m
大光銀行 柏崎支店(銀行)まで570m
柏崎信用金庫 本部(銀行)まで640m
第四北越銀行 柏崎支店(銀行)まで850m
柏崎西本町郵便局(郵便局)まで330m

※カメラのアイコンがある場合は、マウスをポイントするとその施設の画像がご覧いただけます。


担当取扱い店舗情報

取扱い店舗画像
株式会社 ホーメックス
TEL: 0257-24-0034
所在地: 新潟県柏崎市土合628-1
交通:
営業時間: 8:30~17:30/定休日:土・日・祝(対応可能です) 年末年始・お盆・GW
免許番号: 新潟県知事(9)第3199号
所属団体名: 新潟県宅地建物取引業協会 柏崎支部
取引態様: 専属専任
ホームページ: http://homex.co.jp/