新潟県柏崎市新道7113番1、7114番1 売土地・分譲地 1,000,000円の物件情報

物件名/所在地 詳細 価格
新道
新潟県柏崎市新道7113番1、7114番1
  • 土地面積
    :256.71㎡ /77.65坪
  • 坪単価
    :12,878円/坪
  • 建ぺい率
    :70%
  • 容積率
    :200%
1,000,000
  • 新道
    八幡開発株式会社
  • この物件を問い合わせる/無料
  • TEL: 0257-22-3357 0257-22-3357

物件画像

外観
間取り
物件画像
※画像クリックで拡大表示
外観
物件画像
※画像クリックで拡大表示
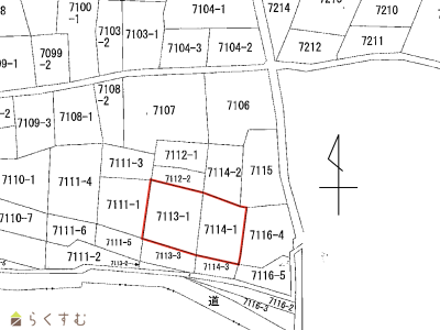
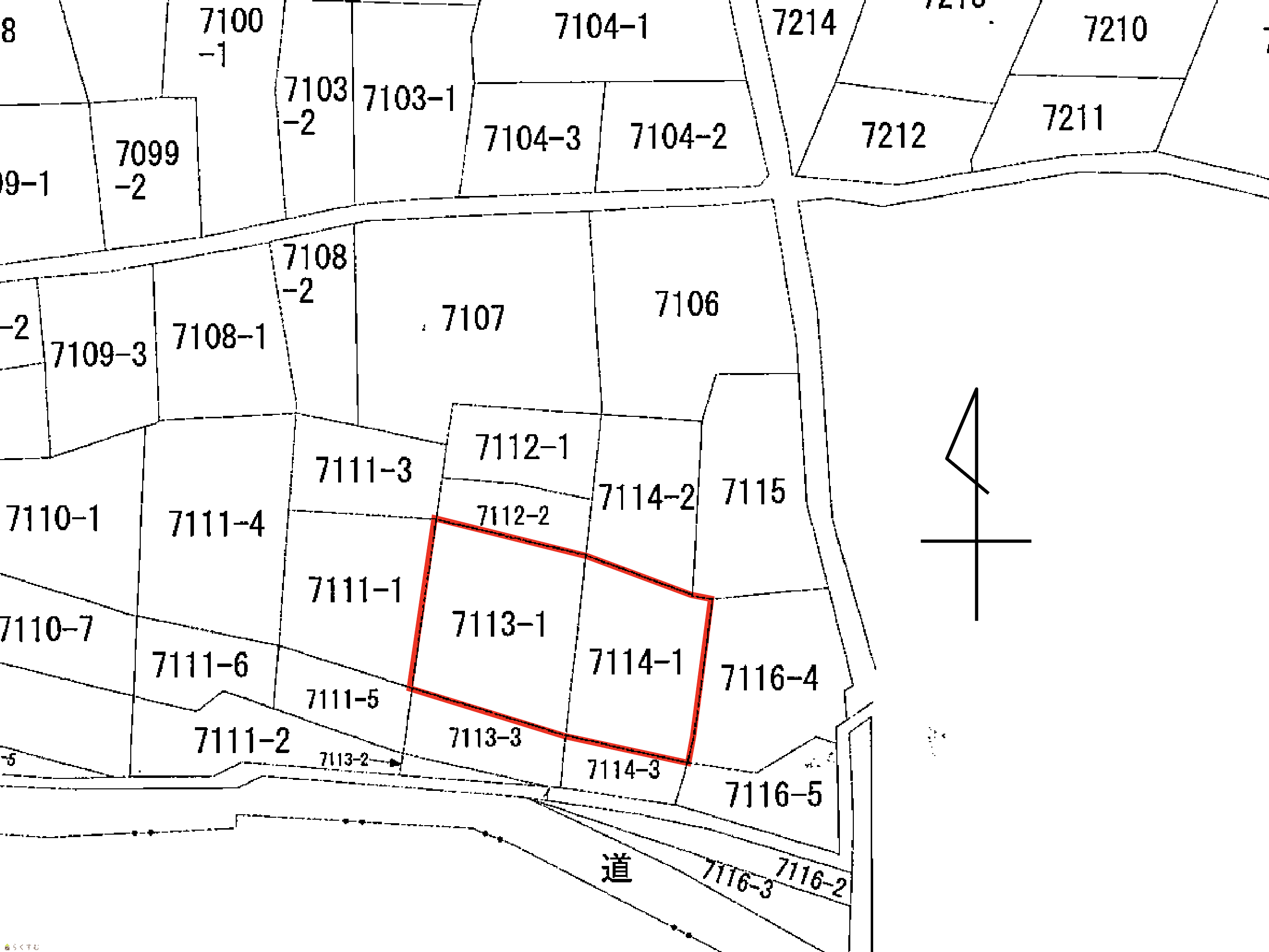
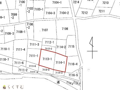
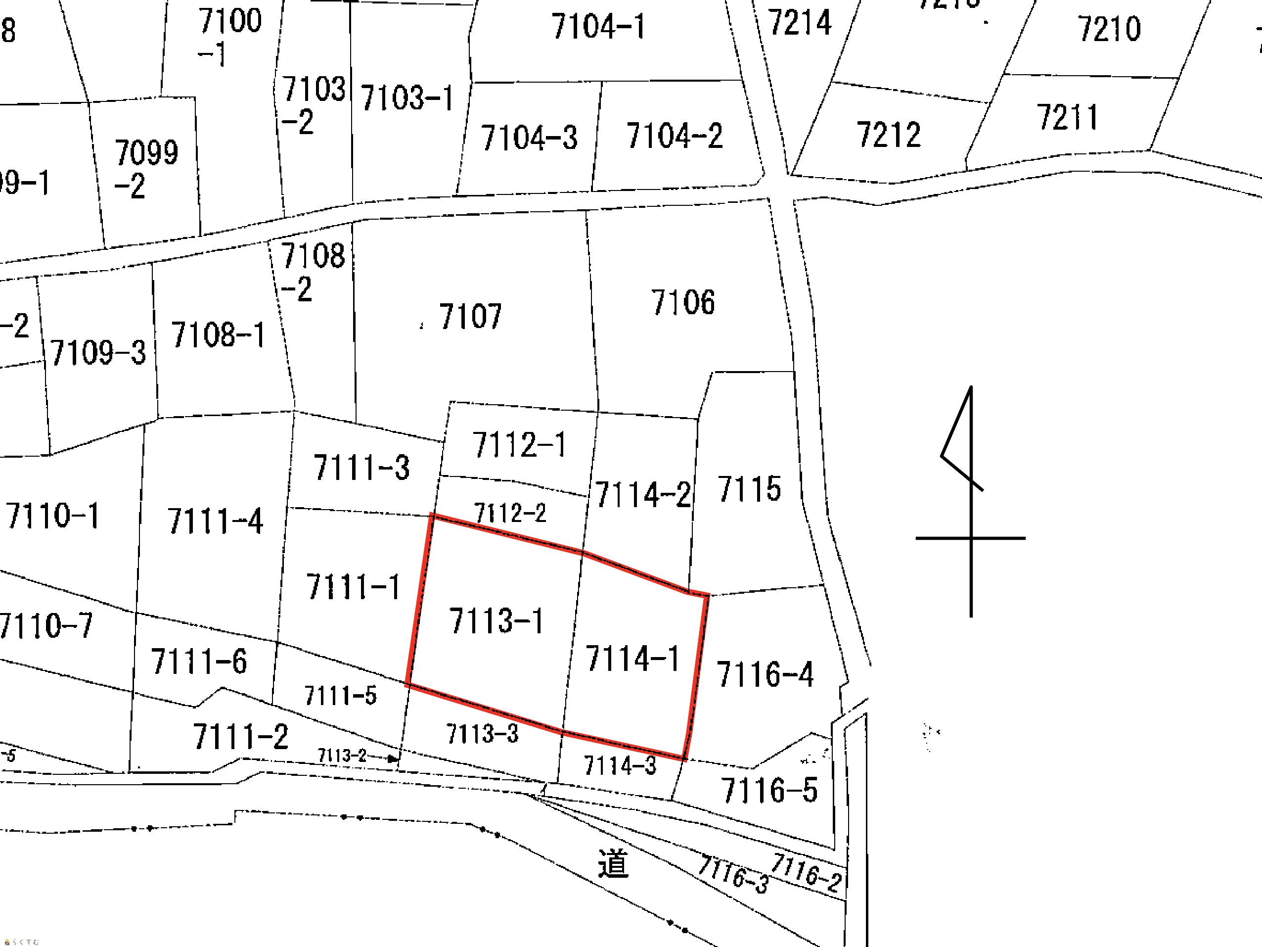
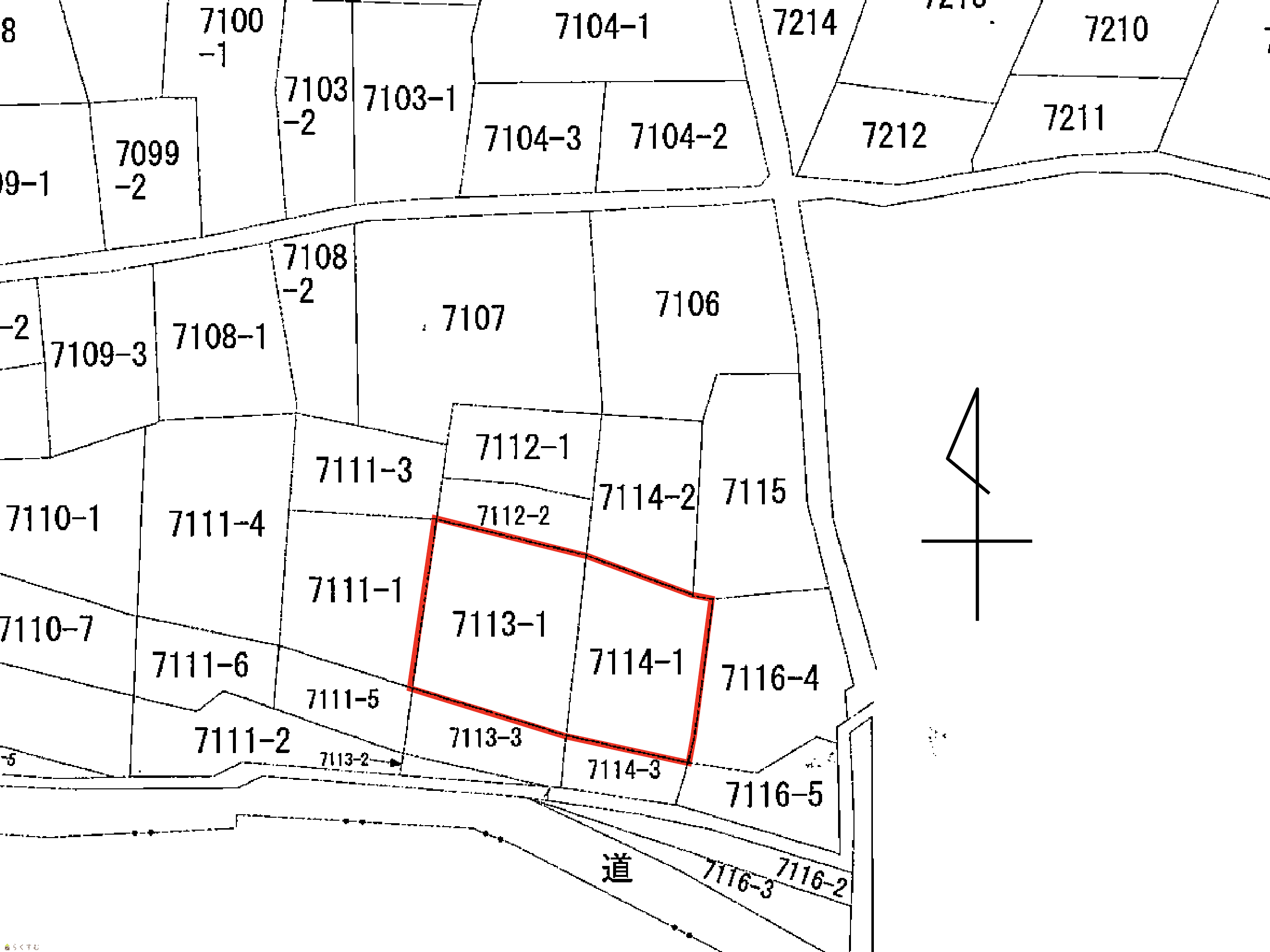
公図
詳細画像
物件画像
印刷用地図


物件概要

物件コード 00050-200436
物件名 新道
交通 駅:信越線 柏崎駅から徒歩50分、バス:新道農協前から徒歩6分
物件所在地 新潟県柏崎市新道7113番1、7114番1
物件種別 売土地・分譲地
物件区分 売土地
構造 - 階建 -
建ぺい率/容積率 70%/200%
建物面積 -
土地面積 256.71㎡ /77.65坪
築年月 -
入居(引き渡し)時期 相談
用途地域 無指定 地目 宅地  (現状:宅地)
都市計画 非線引き都市計画区域 学校区 新道小学校(836m)・南中学校(576m)
形状 間口 21.4m 道路 新潟県道73号鯨波・宮川線
私道 - その他の制限 -
  • 新道
    八幡開発株式会社
  • この物件を問い合わせる/無料
  • TEL: 0257-22-3357 0257-22-3357

物件詳細情報

所在階/階数 - 号室 -
販売価格 1,000,000円 方位 -
間取り -
専有面積 - バルコニー面積 -
その他面積 - 駐車場 -
管理費 - 修繕積立金 -
現況 更地
仲介手数料 330,000円
利用制限 -
設備 更地、建築条件なし、即引き渡し可、側溝、電気、都市ガス(宅地内)、上水道(宅地内)、下水道(宅地内)、住宅向け
取引態様 一般
備考 -
取り扱い会社

八幡開発株式会社

新潟県柏崎市横山440番地1

情報登録日 2025/12/12 次回更新予定日 2026/02/28
取引条件有効期限 2026/12/31
  • 新道
    八幡開発株式会社
  • この物件を問い合わせる/無料
  • TEL: 0257-22-3357 0257-22-3357

この物件の地図・周辺情報・行政情報

この物件の周辺情報・行政情報を詳しく見る
【周辺情報】
物件の近くにあるコンビニや銀行・学校など、アイコン付のマップで詳しく表示できます!
【行政情報】
水道料や下水道料・ガス料金など、暮らしに関係のある情報を表示しています。

担当取扱い店舗情報

取扱い店舗画像
八幡開発株式会社
TEL: 0257-22-3357
所在地: 新潟県柏崎市横山440番地1
交通: 柏崎駅
営業時間: 9:00~17:30/定休日:日曜・祭日
免許番号: 新潟県知事(14)第1377号
所属団体名: 新潟県宅地建物取引業協会 柏崎支部
取引態様: 一般
ホームページ: http://www.hatiman.jp