新潟県柏崎市松波2丁目2306-2 売土地・分譲地 18,000,000円の物件情報

公園やお店の集まる国道352号線が近い南向き239坪の土地です。

物件名/所在地 詳細 価格
松波2丁目
新潟県柏崎市松波2丁目2306-2
  • 土地面積
    :793㎡ /239.88坪
  • 坪単価
    :75,037円/坪
  • 建ぺい率
    :60%
  • 容積率
    :200%
18,000,000
  • 松波2丁目
    八幡開発株式会社
  • この物件を問い合わせる/無料
  • TEL: 0257-22-3357 0257-22-3357

物件画像

外観
間取り
物件画像
※画像クリックで拡大表示
現地写真
物件画像
※画像クリックで拡大表示
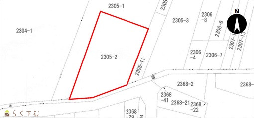
公図
詳細画像
物件画像
荒浜小学校 徒歩17分
物件画像
松浜中学校 徒歩8分
物件画像
ファミリーマート 車で1分
物件画像
スーパーアトレ 徒歩3分
物件画像
クスリのアオキ 徒歩1分


物件概要

国道352号線まで約70m、徒歩で1分のアクセスです。
物件コード 00050-200378
物件名 松波2丁目
交通 駅:越後線 東柏崎駅から徒歩30分、バス:松波2丁目から徒歩2分
物件所在地 新潟県柏崎市松波2丁目2306-2
物件種別 売土地・分譲地
物件区分 売土地
構造 - 階建 -
建ぺい率/容積率 60%/200%
建物面積 -
土地面積 793㎡ /239.88坪
築年月 -
入居(引き渡し)時期 相談
用途地域 工業地域 地目 山林  (現状:畑)
都市計画 非線引き都市計画区域 学校区 荒浜小学校(1,175m)・松浜中学校(731m)
形状 間口 23.7m × 奥行 33m 道路 柏崎市道
私道 - その他の制限 -
  • 松波2丁目
    八幡開発株式会社
  • この物件を問い合わせる/無料
  • TEL: 0257-22-3357 0257-22-3357

物件詳細情報

所在階/階数 - 号室 -
販売価格 18,000,000円 方位 -
間取り -
専有面積 - バルコニー面積 -
その他面積 - 駐車場 -
管理費 - 修繕積立金 -
現況 -
仲介手数料 660,000円
利用制限 -
設備 整形地、前道6m以上、南側道路面す、更地、学校近く、スーパー近く、閑静な住宅街、分割可能、建築条件なし、所有権、電気、都市ガス(宅地内)、上水道(宅地内)、下水道(宅地内)、住宅向け、事業用向け
取引態様 一般
備考 ・土地の分割については応相談になります。
取り扱い会社

八幡開発株式会社

新潟県柏崎市横山440番地1

情報登録日 2024/11/16 次回更新予定日 2026/01/04
取引条件有効期限 2025/05/31
  • 松波2丁目
    八幡開発株式会社
  • この物件を問い合わせる/無料
  • TEL: 0257-22-3357 0257-22-3357

この物件の地図・周辺情報・行政情報

この物件の周辺情報・行政情報を詳しく見る
【周辺情報】
物件の近くにあるコンビニや銀行・学校など、アイコン付のマップで詳しく表示できます!
【行政情報】
水道料や下水道料・ガス料金など、暮らしに関係のある情報を表示しています。
ファミリーマート 柏崎松波店(コンビニ)まで380m
セブン-イレブン 柏崎松波店(コンビニ)まで680m
アトレ 柏崎店(スーパー)まで280m
クスリのアオキ 松波店(ドラッグストア)まで160m
セブン銀行ATM(銀行)まで750m

※カメラのアイコンがある場合は、マウスをポイントするとその施設の画像がご覧いただけます。


担当取扱い店舗情報

取扱い店舗画像
八幡開発株式会社
TEL: 0257-22-3357
所在地: 新潟県柏崎市横山440番地1
交通: 柏崎駅
営業時間: 9:00~17:30/定休日:日曜・祭日
免許番号: 新潟県知事(14)第1377号
所属団体名: 新潟県宅地建物取引業協会 柏崎支部
取引態様: 一般
ホームページ: http://www.hatiman.jp