南側道路
| 物件名/所在地 | 詳細 | 価格 |
|---|---|---|
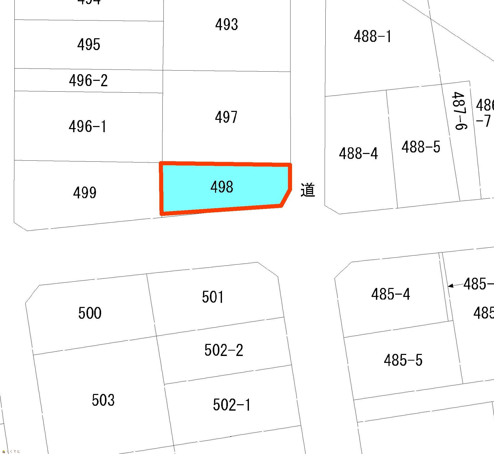
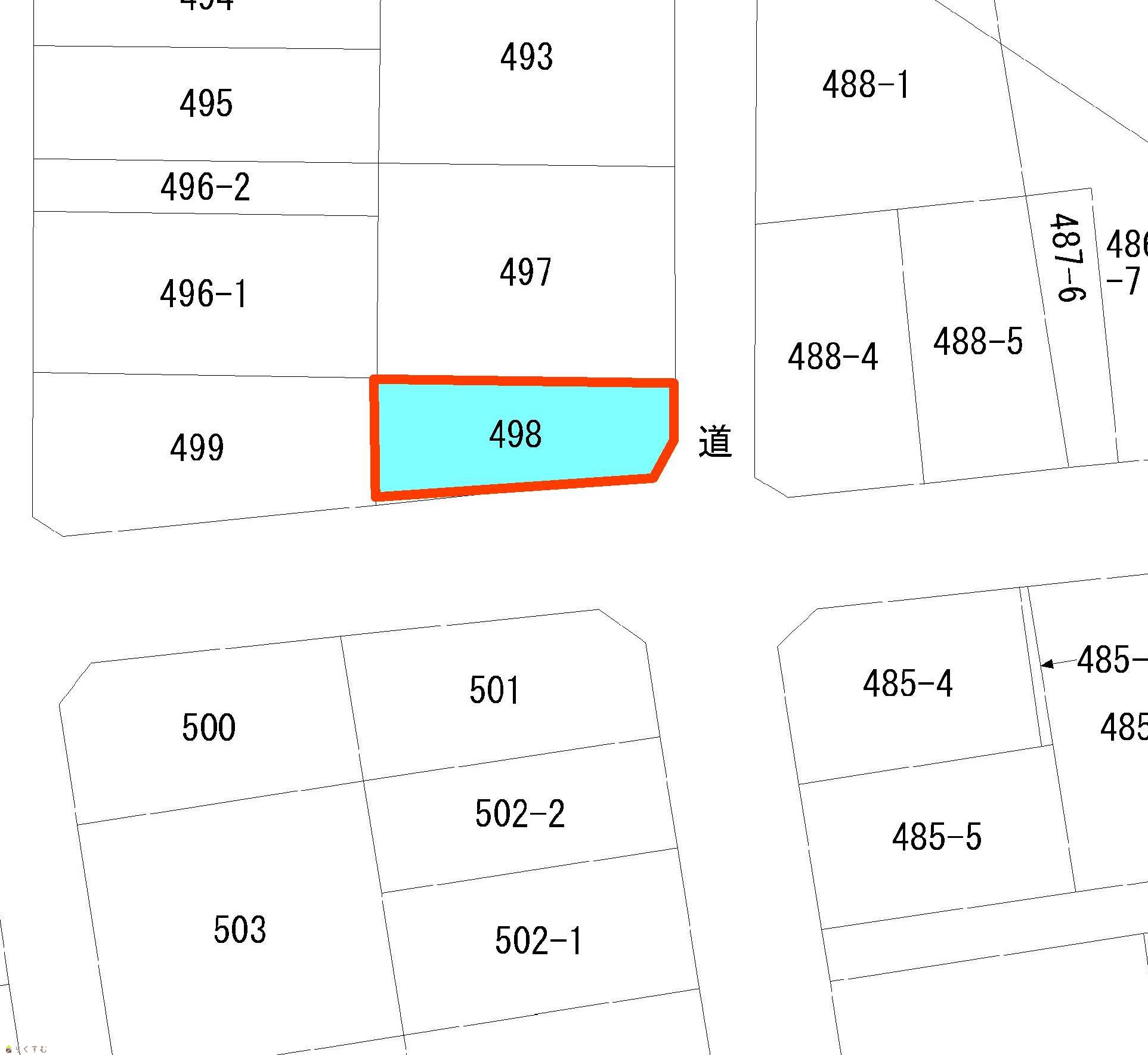
| 松美2丁目42.9坪売土地
新潟県柏崎市松美2丁目498 |
|
3,240,000円 |
| 物件コード | 00037-200164 | ||
|---|---|---|---|
| 物件名 | 松美2丁目42.9坪売土地 | ||
| 交通 | 駅:越後線 東柏崎駅から徒歩17分、バス:松美中央から徒歩4分 | ||
| 物件所在地 | 新潟県柏崎市松美2丁目498 | ||
| 物件種別 | 売土地・分譲地 | ||
| 物件区分 | 売土地 | ||
| 構造 | - | 階建 | - |
| 建ぺい率/容積率 | 60%/200% | ||
| 建物面積 | - | ||
| 土地面積 | 142㎡ /42.95坪 | ||
| 築年月 | - | ||
| 入居(引き渡し)時期 | 随時入居(引き渡し)可 | ||
| 用途地域 | 第1種住居地域 | 地目 | 畑 (現状:更地) |
| 都市計画 | 非線引き都市計画区域 | 学校区 | 比角小学校(1,071m)・第二中学校(634m) |
| 形状 | - | 道路 | 南側市道 |
| 私道 | - | その他の制限 | - |
| 所在階/階数 | - | 号室 | - |
|---|---|---|---|
| 販売価格 | 3,240,000円 | 方位 | - |
| 間取り | - | ||
| 専有面積 | - | バルコニー面積 | - |
| その他面積 | - | 駐車場 | - |
| 管理費 | - | 修繕積立金 | - |
| 現況 | 更地 | ||
| 仲介手数料 | 164,560円 | ||
| 利用制限 | - | ||
| 設備 | 南側道路面す、更地、建築条件なし、所有権、即引き渡し可、側溝、都市ガス(前面道路)、上水道(前面道路)、下水道(前面道路)、下水道(宅地内)、住宅向け、事業用向け | ||
| 取引態様 | 一般 | ||
| 備考 | 農地法5条申請手続き、費用必要 | ||
| 取り扱い会社 |
株式会社 ai-will 新潟県柏崎市田中10-31 |
||
| 情報登録日 | 2025/10/14 | 次回更新予定日 | 2025/12/20 |
| 取引条件有効期限 | 2026/03/31 | ||
|
ローソン 柏崎藤元町店(コンビニ)まで350m ファミリーマート 柏崎比角店(コンビニ)まで580m |
原信 柏崎東店(スーパー)まで620m クスリのアオキ 松美店(ドラッグストア)まで400m |
※カメラのアイコンがある場合は、マウスをポイントするとその施設の画像がご覧いただけます。
| TEL: | 0257-35-5370 | |
|---|---|---|
| 所在地: | 新潟県柏崎市田中10-31 | |
| 交通: | 国道8号線よりすぐ | |
| 営業時間: | 平日9:00~18:00土日祝10:00~16:0/定休日:当社規定 (お盆・年末年始・GW) | |
| 免許番号: | 新潟県知事(4)4821号 | |
| 所属団体名: | 新潟県宅地建物取引協会 柏崎支部 | |
| 取引態様: | 一般 | |
| ホームページ: | http://www.ai-will.co.jp/ | |