新潟県柏崎市米山台2丁目17 売土地・分譲地 4,500,000円の物件情報

現状ガレージ5台分あり

物件名/所在地 詳細 価格
米山台2丁目売り地 現状ガレージあり
新潟県柏崎市米山台2丁目17
  • 土地面積
    :306.72㎡ /92.78坪
  • 坪単価
    :48,501円/坪
  • 建ぺい率
    :50%
  • 容積率
    :100%
4,500,000
  • 米山台2丁目売り地 現状ガレージあり
    株式会社 ai-will
  • この物件を問い合わせる/無料
  • TEL: 0257-35-5370 0257-35-5370

物件画像

外観
間取り
物件画像
※画像クリックで拡大表示
前面道路より
物件画像
※画像クリックで拡大表示
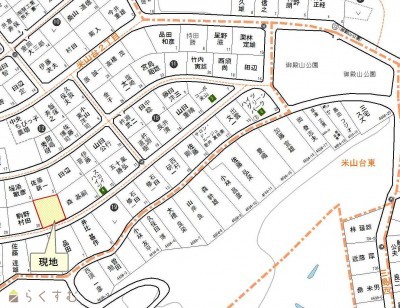
公正図
詳細画像
物件画像
ガレージ賃借人あり
物件画像
閑静な住宅地


物件概要

物件コード 00037-200145
物件名 米山台2丁目売り地 現状ガレージあり
交通 駅:越後線 柏崎駅から徒歩28分、バス:米山台2丁目から徒歩3分
物件所在地 新潟県柏崎市米山台2丁目17
物件種別 売土地・分譲地
物件区分 売土地
構造 - 階建 -
建ぺい率/容積率 50%/100%
建物面積 -
土地面積 306.72㎡ /92.78坪
築年月 -
入居(引き渡し)時期 相談
用途地域 第1種低層住居専用地域 地目 宅地
都市計画 非線引き都市計画区域 学校区 剣野小学校(485m)・第三中学校(924m)
形状 - 道路 南側市道
私道 - その他の制限 -
  • 米山台2丁目売り地 現状ガレージあり
    株式会社 ai-will
  • この物件を問い合わせる/無料
  • TEL: 0257-35-5370 0257-35-5370

物件詳細情報

所在階/階数 - 号室 -
販売価格 4,500,000円 方位 -
間取り -
専有面積 - バルコニー面積 -
その他面積 - 駐車場 -
管理費 - 修繕積立金 -
現況 -
仲介手数料 330,000円
利用制限 -
設備 閑静な住宅街、建築条件なし、所有権、都市ガス(宅地内)、上水道(宅地内)、下水道(宅地内)、住宅向け、事業用向け
取引態様 一般
備考 現状にてお引渡しです。現在ガレージ3台賃貸中です。
取り扱い会社

株式会社 ai-will

新潟県柏崎市田中10-31

情報登録日 2026/01/27 次回更新予定日 2026/05/15
取引条件有効期限 2026/12/31
  • 米山台2丁目売り地 現状ガレージあり
    株式会社 ai-will
  • この物件を問い合わせる/無料
  • TEL: 0257-35-5370 0257-35-5370

この物件の地図・周辺情報・行政情報

この物件の周辺情報・行政情報を詳しく見る
【周辺情報】
物件の近くにあるコンビニや銀行・学校など、アイコン付のマップで詳しく表示できます!
【行政情報】
水道料や下水道料・ガス料金など、暮らしに関係のある情報を表示しています。

担当取扱い店舗情報

取扱い店舗画像
株式会社 ai-will
TEL: 0257-35-5370
所在地: 新潟県柏崎市田中10-31
交通: 国道8号線よりすぐ
営業時間: 平日9:00~18:00土日祝10:00~16:0/定休日:当社規定 (お盆・年末年始・GW)
免許番号: 新潟県知事(4)4821号
所属団体名: 新潟県宅地建物取引協会 柏崎支部
取引態様: 一般
ホームページ: http://www.ai-will.co.jp/